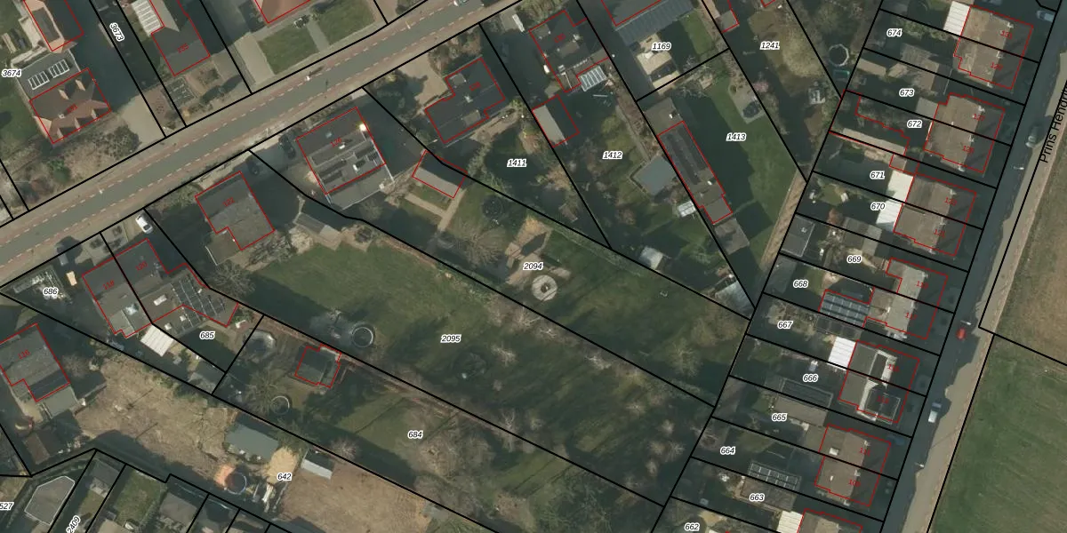
Perceel: BFD00-F-2094
1.680 m2 - 228 m
Eigenaar opvragen
BFD00-F-2094 (Belfeld)
- 5951 CX
UWdUHZYC7Zf1Jh wpxIgeUpgrade naar KadastraleKaart Pro
Verkoopprijs opvragen
Bekijk op Street View
Download DWG/DXF/Excel
otuNrAU5R4 WUpgrade naar KadastraleKaart Pro
ns6X 1YeN50 gb2CF 94Upgrade naar KadastraleKaart Pro
S875Xd6 OXLrWdtUpgrade naar KadastraleKaart Pro
VcHekiOHrqWrUpgrade naar KadastraleKaart Pro
hktdl18YGQWyaJ4d9nb Upgrade naar KadastraleKaart Pro
8 lwP 2VUpgrade naar KadastraleKaart Pro
rsSZp3r7qUpgrade naar KadastraleKaart Pro
iBnByCStNSoXKUpgrade naar KadastraleKaart Pro
QLVas98Hq8w 2 efUpgrade naar KadastraleKaart Pro
cInjR1zF dLqnGH0sXXRembUpgrade naar KadastraleKaart Pro
01/11/2006

Percelen
Gebruik de zoekbalk of klik op een perceel om informatie over het perceel te bekijken.