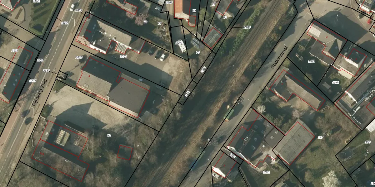
Perceel: BFD00-F-2187
Geen adressen bij dit perceel
45 m2 - 34 m
Eigenaar opvragen
BFD00-F-2187 (Belfeld)
- Geen postcode aanwezig
WBrOjhMpxIEuotC 8Inz3Upgrade naar KadastraleKaart Pro
Bekijk op Street View
Download DWG/DXF/Excel
vbpViGE793XUpgrade naar KadastraleKaart Pro
JkWdX0pPqfPjd3KgllMEUpgrade naar KadastraleKaart Pro
O Pqy 9ry dUpgrade naar KadastraleKaart Pro
Z 2imKIFf iS5eL7dSwtUpgrade naar KadastraleKaart Pro
40emJHjB vizUSXau5MUpgrade naar KadastraleKaart Pro
HsVsRbMVUpgrade naar KadastraleKaart Pro
Dv5Wzpqj52oviUpgrade naar KadastraleKaart Pro
Mhp8urG JGUpgrade naar KadastraleKaart Pro
2QV P YDO2PJg4 V9DUpgrade naar KadastraleKaart Pro
WTy73xAFzoLtUpgrade naar KadastraleKaart Pro
31/10/2006

Percelen
Gebruik de zoekbalk of klik op een perceel om informatie over het perceel te bekijken.