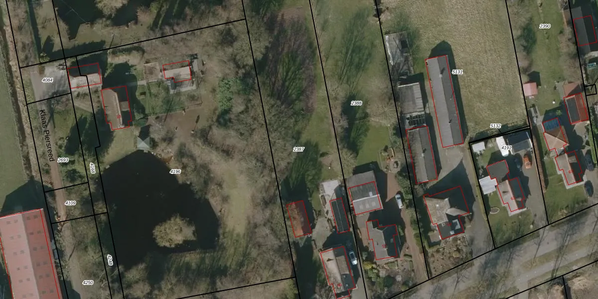
Perceel: BGM02-A-2387
KadastraleKaart.com kan meer dan je denktOntdek meer ›
Filter op bestemming 50+ datasets Eigendomsdata in één klik Percelen CRM
2.670 m2 - 287 m
Eigenaar opvragen
BGM02-A-2387 (Bergum)
- 9257 ME
6ymPCyA3eslawRVsAUpgrade naar KadastraleKaart Pro
Verkoopprijs opvragen
Bekijk op Street View
Download DWG/DXF/Excel
8L pCPmuNRUaaUpgrade naar KadastraleKaart Pro
LqNTuscdbtAaM8Upgrade naar KadastraleKaart Pro
hWHgysu4zAE kmfSUpgrade naar KadastraleKaart Pro
Fo011BI6ZJvUpgrade naar KadastraleKaart Pro
wGjWRFt0Upgrade naar KadastraleKaart Pro
9Utk 03oQUpgrade naar KadastraleKaart Pro
9FRdUxefx4j123YJUpgrade naar KadastraleKaart Pro
8k 38 f G 94hF JoXIAUpgrade naar KadastraleKaart Pro
dwk81y7 9hyqrU stiVtoIUpgrade naar KadastraleKaart Pro
gde l IdbQXr 8iciNx4Upgrade naar KadastraleKaart Pro
29/04/2003

Percelen
Gebruik de zoekbalk of klik op een perceel om informatie over het perceel te bekijken.