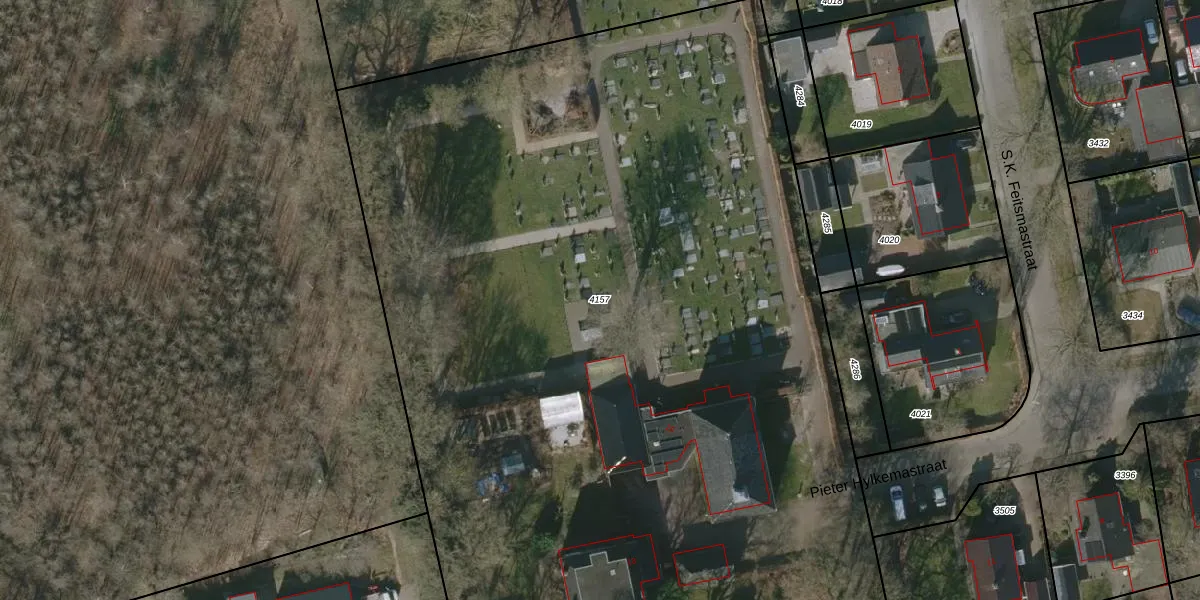
Perceel: BGM02-A-4157
KadastraleKaart.com kan meer dan je denktOntdek meer ›
Filter op bestemming 50+ datasets Eigendomsdata in één klik Percelen CRM
8.420 m2 - 372 m
Eigenaar opvragen
BGM02-A-4157 (Bergum)
- 9257 DR
B UxF2uCqjK6Cv4SdEUpgrade naar KadastraleKaart Pro
Bekijk op Street View
Download DWG/DXF/Excel
so QmB48GUpgrade naar KadastraleKaart Pro
Cq77CM0sfGV eD5jb8eQXUpgrade naar KadastraleKaart Pro
PZM8dJqxPad2 BM9k rvUpgrade naar KadastraleKaart Pro
IpSdnsOZqmdkD0p 9qUpgrade naar KadastraleKaart Pro
RyxBUt hjxWCv 9EYUpgrade naar KadastraleKaart Pro
9CD 6FAcM7JmI9G0N7UwAUpgrade naar KadastraleKaart Pro
U VNe4M49 17z9ibopzERsUpgrade naar KadastraleKaart Pro
iLoR fceewPnAyLpXUpgrade naar KadastraleKaart Pro
6Ihm76I1iZhdWUpgrade naar KadastraleKaart Pro
QsMhdIuEKhZHt30Upgrade naar KadastraleKaart Pro
15/01/1998

Percelen
Gebruik de zoekbalk of klik op een perceel om informatie over het perceel te bekijken.