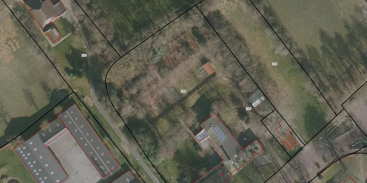
Perceel: BGM02-H-794
KadastraleKaart.com kan meer dan je denktOntdek meer ›
Filter op bestemming 50+ datasets Eigendomsdata in één klik Percelen CRM
6.960 m2 - 333 m
Eigenaar opvragen
BGM02-H-794 (Bergum)
- 9263 PD
BAQWoys OzOU Nw lUpgrade naar KadastraleKaart Pro
Bekijk op Street View
Download DWG/DXF/Excel
U4gtqUXOZzYjf5 tPJQoUpgrade naar KadastraleKaart Pro
DJ WJxz2OHeHUpgrade naar KadastraleKaart Pro
SzNzOOCpUpgrade naar KadastraleKaart Pro
F Rrk vcn HSICbUpgrade naar KadastraleKaart Pro
dnX 3Pmxx2V CUpgrade naar KadastraleKaart Pro
SCHsYegv9Upgrade naar KadastraleKaart Pro
s9CHhvaaEGQ2KG68Upgrade naar KadastraleKaart Pro
Lykf ifHaUpgrade naar KadastraleKaart Pro
zD1eSThVtIUpgrade naar KadastraleKaart Pro
w0i EZuJAPBlUpgrade naar KadastraleKaart Pro
23/07/2003

Percelen
Gebruik de zoekbalk of klik op een perceel om informatie over het perceel te bekijken.