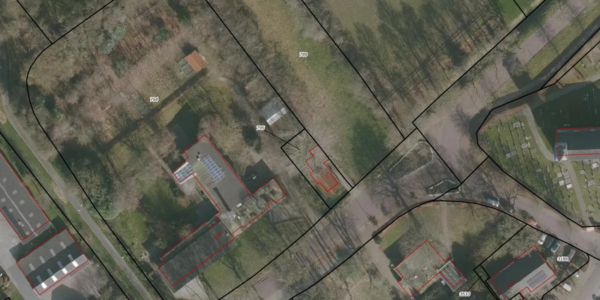
Perceel: BGM02-H-795
KadastraleKaart.com kan meer dan je denktOntdek meer ›
Filter op bestemming 50+ datasets Eigendomsdata in één klik Percelen CRM
260 m2 - 72 m
Eigenaar opvragen
BGM02-H-795 (Bergum)
- 9263 PD
Xh4Icv eYnO08rEhX7bYqerwGPoUpgrade naar KadastraleKaart Pro
Bekijk op Street View
Download DWG/DXF/Excel
IVuMm41InXo0DPtFRaGtfUpgrade naar KadastraleKaart Pro
LkMldSWxU wXpcJcUpgrade naar KadastraleKaart Pro
ptBeX9KQw62iPdo Upgrade naar KadastraleKaart Pro
N2 aN4erUpgrade naar KadastraleKaart Pro
Q0nYFOWUGTUpgrade naar KadastraleKaart Pro
UmBuU6SmhPnNvyUpgrade naar KadastraleKaart Pro
s VWeV X4CqdISUpgrade naar KadastraleKaart Pro
VJsPwrZurUpgrade naar KadastraleKaart Pro
0mc2uoK5z 11gX xArUpgrade naar KadastraleKaart Pro
nQeu8kH8vdSF8 Upgrade naar KadastraleKaart Pro
23/07/2003

Percelen
Gebruik de zoekbalk of klik op een perceel om informatie over het perceel te bekijken.