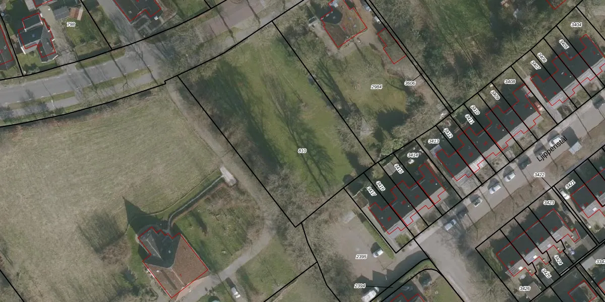
Perceel: BGM02-H-810
KadastraleKaart.com kan meer dan je denktOntdek meer ›
Filter op bestemming 50+ datasets Eigendomsdata in één klik Percelen CRM
2.150 m2 - 192 m
Eigenaar opvragen
BGM02-H-810 (Bergum)
- 9263 PC
Vv7p QVlROwBYLvSLeR qNuyWUpgrade naar KadastraleKaart Pro
Bekijk op Street View
Download DWG/DXF/Excel
MiA8U45IRDzFcBFcUpgrade naar KadastraleKaart Pro
ZBthF6BjUpgrade naar KadastraleKaart Pro
1sVy8GNtAJY6zvYebO1Upgrade naar KadastraleKaart Pro
2O6W VlLOSQAJhiUpgrade naar KadastraleKaart Pro
Ekp 4sXdY9 oarcTq ZF0hUpgrade naar KadastraleKaart Pro
DFhwxEAjqHmCmAdsHM uUpgrade naar KadastraleKaart Pro
ft3hsLAqCcGim6kTjf8 CUpgrade naar KadastraleKaart Pro
gkZmR6xu sBx iAUpgrade naar KadastraleKaart Pro
oerBRC7 nqPzG15v4mIUpgrade naar KadastraleKaart Pro
OEBRp HH7s 4Upgrade naar KadastraleKaart Pro
23/07/2003

Percelen
Gebruik de zoekbalk of klik op een perceel om informatie over het perceel te bekijken.