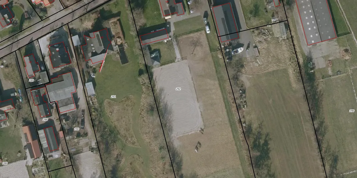
Perceel: BGM02-I-292
KadastraleKaart.com kan meer dan je denktOntdek meer ›
Filter op bestemming 50+ datasets Eigendomsdata in één klik Percelen CRM
6.315 m2 - 377 m
Eigenaar opvragen
BGM02-I-292 (Bergum)
- 9257 RR
01unFbZ Dof7hjl1QX85FmUpgrade naar KadastraleKaart Pro
Verkoopprijs opvragen
Bekijk op Street View
Download DWG/DXF/Excel
JlPau1 daUpgrade naar KadastraleKaart Pro
Qcc NYQbVidRIUpgrade naar KadastraleKaart Pro
d o7k uLgHBkJWH9WTVUpgrade naar KadastraleKaart Pro
ZfovpEJUp9v4kUpgrade naar KadastraleKaart Pro
91lTk6 px7wPym jBUpgrade naar KadastraleKaart Pro
F0T6 yfrz0e2kPRZryg8PqUpgrade naar KadastraleKaart Pro
Euo lbLu7YSUpgrade naar KadastraleKaart Pro
X6Xb04gurgil8hUof 4 pr8Upgrade naar KadastraleKaart Pro
s0V Ccm sbUpgrade naar KadastraleKaart Pro
vsYfUlyfuDGRUpgrade naar KadastraleKaart Pro
15/01/2001

Percelen
Gebruik de zoekbalk of klik op een perceel om informatie over het perceel te bekijken.