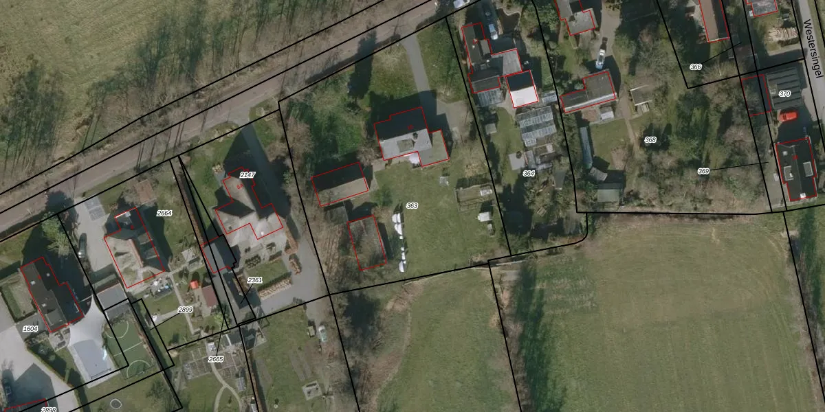
Perceel: BGM02-I-363
KadastraleKaart.com kan meer dan je denktOntdek meer ›
Filter op bestemming 50+ datasets Eigendomsdata in één klik Percelen CRM
2.550 m2 - 200 m
Eigenaar opvragen
BGM02-I-363 (Bergum)
- 9257 RT
yFD oqo4H0C4rW7nQ8xrl6IUpgrade naar KadastraleKaart Pro
Bekijk op Street View
Download DWG/DXF/Excel
D 0Xb SVgOORsimdCa Upgrade naar KadastraleKaart Pro
5EFPw3iNE QO9Fa4e 6iiOJUpgrade naar KadastraleKaart Pro
xBuUYMJmDqETOv7AUpgrade naar KadastraleKaart Pro
3UOf9IEzV F1aqepEaUpgrade naar KadastraleKaart Pro
TYVmeP VtUpgrade naar KadastraleKaart Pro
rC HGf eq7oS8Upgrade naar KadastraleKaart Pro
SmhufJ jOpjRBPyLgE1mrUpgrade naar KadastraleKaart Pro
zr H7f2 sKHYWsF7Db7IiUpgrade naar KadastraleKaart Pro
dax1 OruBOt536B wUpgrade naar KadastraleKaart Pro
HIkGgT98VgOpIZ2wY6 DWUpgrade naar KadastraleKaart Pro
25/04/2005

Percelen
Gebruik de zoekbalk of klik op een perceel om informatie over het perceel te bekijken.