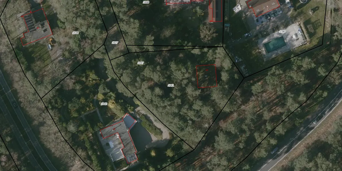
Perceel: BGN01-E-1641
KadastraleKaart.com kan meer dan je denktOntdek meer ›
Filter op bestemming 50+ datasets Eigendomsdata in één klik Percelen CRM
2.787 m2 - 213 m
Eigenaar opvragen
BGN01-E-1641 (Bergen op Zoom)
- 4624 AZ
oVO1RysZHvDEmMCWSRd0U3gBza1cUpgrade naar KadastraleKaart Pro
Bekijk op Street View
Download DWG/DXF/Excel
p5qL2BkTLlUpgrade naar KadastraleKaart Pro
rJdU Dyb5zdUpgrade naar KadastraleKaart Pro
P HV JnhO S67zXf8IUpgrade naar KadastraleKaart Pro
sQaAiQ1pvsd6apajSvUpgrade naar KadastraleKaart Pro
a2nsK 8 5bYwUpgrade naar KadastraleKaart Pro
3sO2WSSMXn6TqAUpgrade naar KadastraleKaart Pro
AOyvv1 F ikdJiUpgrade naar KadastraleKaart Pro
jUf vib7uhgGLOYNvpUpgrade naar KadastraleKaart Pro
J9kCU pz7tDghOBcUpgrade naar KadastraleKaart Pro
vejSjNPSuDMUpgrade naar KadastraleKaart Pro
09/12/2009

Percelen
Gebruik de zoekbalk of klik op een perceel om informatie over het perceel te bekijken.