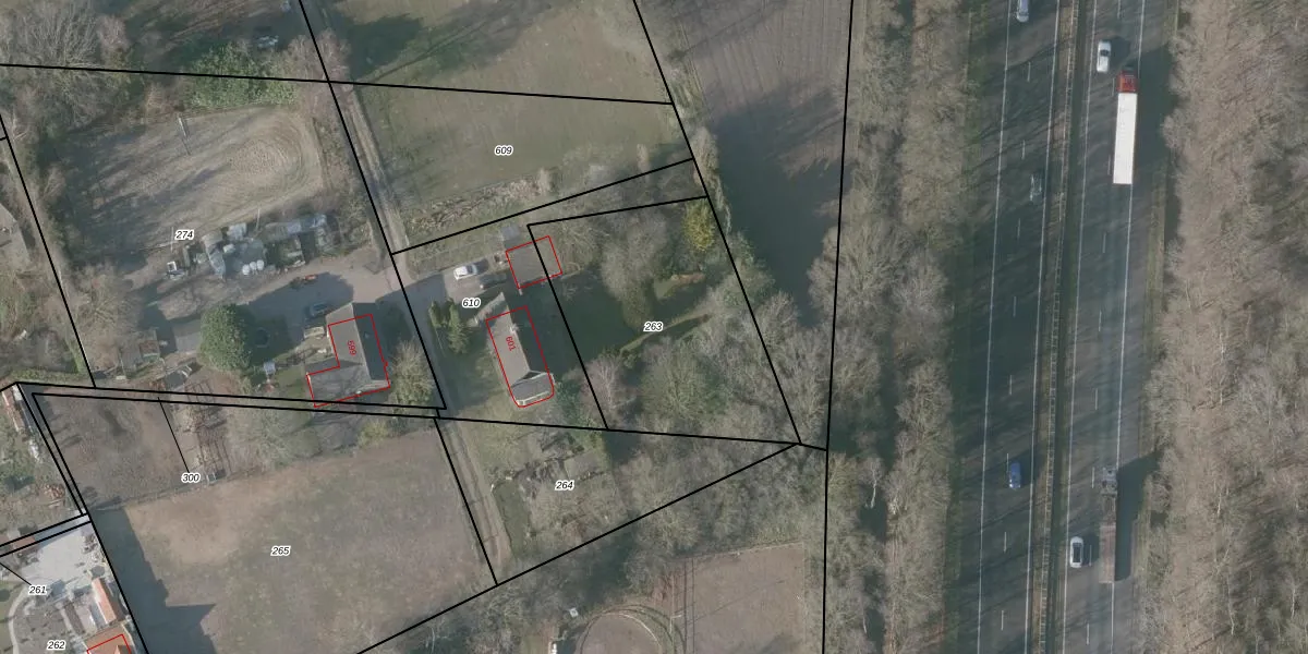
Perceel: BGN01-N-263
KadastraleKaart.com kan meer dan je denktOntdek meer ›
Filter op bestemming 50+ datasets Eigendomsdata in één klik Percelen CRM
Geen adressen bij dit perceel
1.000 m2 - 132 m
Eigenaar opvragen
BGN01-N-263 (Bergen op Zoom)
- Geen postcode aanwezig
zV79jhYE 6x5U ogYydJUpgrade naar KadastraleKaart Pro
Bekijk op Street View
Download DWG/DXF/Excel
UyX T8lFOIKFqiamUpgrade naar KadastraleKaart Pro
zeVGg LgKt I icUpgrade naar KadastraleKaart Pro
THZOCCfwMND 0wgVaUUpgrade naar KadastraleKaart Pro
M 2C8b1EpA LL94 NyUpgrade naar KadastraleKaart Pro
ve8R CFSxnSAUpgrade naar KadastraleKaart Pro
WilSpr I4dJAm SA7SQNUpgrade naar KadastraleKaart Pro
Rr2bb ukuhB5 iX4 NL 2VLUpgrade naar KadastraleKaart Pro
h0eBTy7YwDzrNQyTUpgrade naar KadastraleKaart Pro
RvJYxmxvl ugUUpgrade naar KadastraleKaart Pro
vuMKHFglHDDUpgrade naar KadastraleKaart Pro
21/12/2009

Percelen
Gebruik de zoekbalk of klik op een perceel om informatie over het perceel te bekijken.