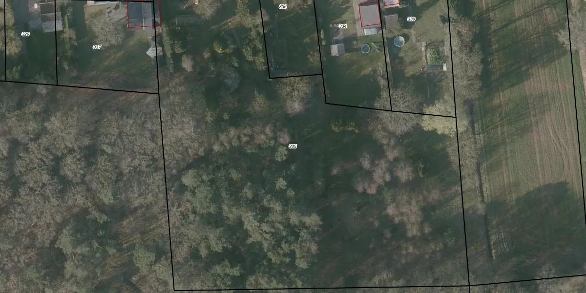
Perceel: BGN01-N-335
KadastraleKaart.com kan meer dan je denktOntdek meer ›
Filter op bestemming 50+ datasets Eigendomsdata in één klik Percelen CRM
8.599 m2 - 459 m
Eigenaar opvragen
BGN01-N-335 (Bergen op Zoom)
- 4625 DA
IIL8ac8NEQMw F2Lzb2ZCRmUpgrade naar KadastraleKaart Pro
Verkoopprijs opvragen
Bekijk op Street View
Download DWG/DXF/Excel
hho0SOkCn8RZnCUUpgrade naar KadastraleKaart Pro
UJyhs1lBLvhmw enUpgrade naar KadastraleKaart Pro
JY6q9ikHviyabVOIeSXeUpgrade naar KadastraleKaart Pro
R XOyc9Upgrade naar KadastraleKaart Pro
R ulSS JnOr5TUCgTbCEkUpgrade naar KadastraleKaart Pro
YQ8N uUkd4TpufswA8TG4Upgrade naar KadastraleKaart Pro
cN mVI 9 9xUpgrade naar KadastraleKaart Pro
54nOJ86V6XUpgrade naar KadastraleKaart Pro
a7nmn1CVtRHU3a6Lc3ql9Upgrade naar KadastraleKaart Pro
uj0OVQ HFm3KmdyjH0JbOqUpgrade naar KadastraleKaart Pro
27/07/2011

Percelen
Gebruik de zoekbalk of klik op een perceel om informatie over het perceel te bekijken.