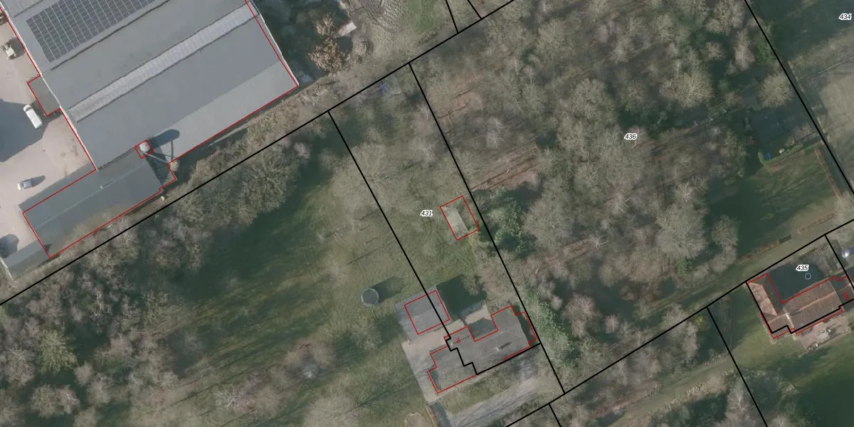
Perceel: BGN01-N-431
KadastraleKaart.com kan meer dan je denktOntdek meer ›
Filter op bestemming 50+ datasets Eigendomsdata in één klik Percelen CRM
1.460 m2 - 187 m
Eigenaar opvragen
BGN01-N-431 (Bergen op Zoom)
- 4625 DJ
cSPvoqE42pZ elZL37U5 WUpgrade naar KadastraleKaart Pro
Bekijk op Street View
Download DWG/DXF/Excel
lTaCERS2JvY17ZX6Upgrade naar KadastraleKaart Pro
QW xaUnIUpgrade naar KadastraleKaart Pro
me3FQmsLz9uUpgrade naar KadastraleKaart Pro
sfIN ogiw07moLviUpgrade naar KadastraleKaart Pro
qpcq ht2odmgQymr08KyQTUpgrade naar KadastraleKaart Pro
gg2Yl fSBiwNOUC63JoRpq Upgrade naar KadastraleKaart Pro
NEPkutGmMqCqESPojPEUpgrade naar KadastraleKaart Pro
lEdzol cQruUUpgrade naar KadastraleKaart Pro
tEfc4BS1Upgrade naar KadastraleKaart Pro
5ct4qD zXUpgrade naar KadastraleKaart Pro
26/05/2011

Percelen
Gebruik de zoekbalk of klik op een perceel om informatie over het perceel te bekijken.