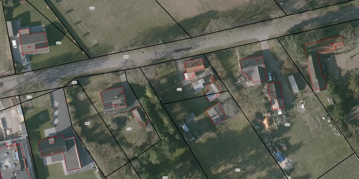
Perceel: BGN01-N-519
KadastraleKaart.com kan meer dan je denktOntdek meer ›
Filter op bestemming 50+ datasets Eigendomsdata in één klik Percelen CRM
830 m2 - 123 m
Eigenaar opvragen
BGN01-N-519 (Bergen op Zoom)
- 4625 DD
9nysnDnBRBHkTNOfCF f11bUpgrade naar KadastraleKaart Pro
Bekijk op Street View
Download DWG/DXF/Excel
bepzKrtJVXhIWUpgrade naar KadastraleKaart Pro
KLRwUaBp3 eI6U XUpgrade naar KadastraleKaart Pro
ztP 76KFsuNSMVM1bUpgrade naar KadastraleKaart Pro
NqMgrOEpK6T0nBUpgrade naar KadastraleKaart Pro
DGQcXOwu47HUpgrade naar KadastraleKaart Pro
a sQI0QbpAGR u4ptEb7vUpgrade naar KadastraleKaart Pro
sCZRVcOyB8EuJ9z6juUpgrade naar KadastraleKaart Pro
NuZxkzYYysyMY1en0Upgrade naar KadastraleKaart Pro
okQ5075Ao2VslAyiUpgrade naar KadastraleKaart Pro
CK9 dK69Y TQmUpgrade naar KadastraleKaart Pro
18/11/2013

Percelen
Gebruik de zoekbalk of klik op een perceel om informatie over het perceel te bekijken.