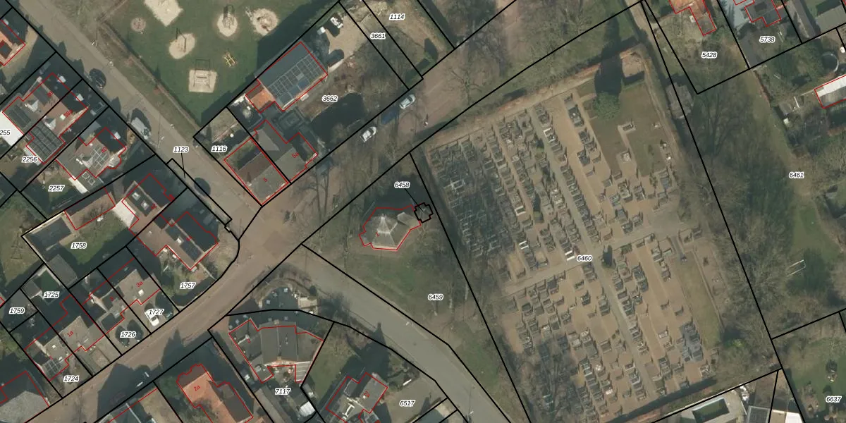
Perceel: BGN02-C-6458
KadastraleKaart.com kan meer dan je denktOntdek meer ›
Filter op bestemming 50+ datasets Eigendomsdata in één klik Percelen CRM
Geen adressen bij dit perceel
15 m2 - 16 m
Eigenaar opvragen
BGN02-C-6458 (Bergen Limburg)
- Geen postcode aanwezig
bW flEkOE23rJ08hqd72tv6KJ VUpgrade naar KadastraleKaart Pro
Bekijk op Street View
Download DWG/DXF/Excel
F0 WLqC3ssvC2aaHi6ginUpgrade naar KadastraleKaart Pro
tNzrvGIImnP6D3I8AUpgrade naar KadastraleKaart Pro
ESnk96ZK9JECHGp5OgUpgrade naar KadastraleKaart Pro
lL hLUpgrade naar KadastraleKaart Pro
gP sY37tyD 9DmJN2 G1hUpgrade naar KadastraleKaart Pro
tY4nnOsIK7ZDHHEtlzJos7xUpgrade naar KadastraleKaart Pro
5 AYGRovJCY7r MCJku xfKUpgrade naar KadastraleKaart Pro
ifoqnI59euVt rGjk2hJUpgrade naar KadastraleKaart Pro
ImOiT2s5GAri1sjdCUXEvUpgrade naar KadastraleKaart Pro
96myelCWUpgrade naar KadastraleKaart Pro
31/07/2008

Percelen
Gebruik de zoekbalk of klik op een perceel om informatie over het perceel te bekijken.