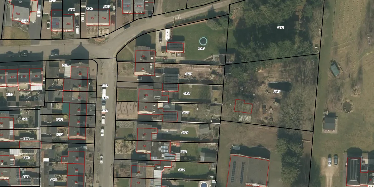
Perceel: BGN02-C-6506
KadastraleKaart.com kan meer dan je denktOntdek meer ›
Filter op bestemming 50+ datasets Eigendomsdata in één klik Percelen CRM
590 m2 - 134 m
Eigenaar opvragen
BGN02-C-6506 (Bergen Limburg)
- 5851 BW
wU x04nkxuBq Jx EJ 2tRBUpgrade naar KadastraleKaart Pro
Verkoopprijs opvragen
Bekijk op Street View
Download DWG/DXF/Excel
I6TlBkP A3znPAQO 53JdyUpgrade naar KadastraleKaart Pro
U8hUcoWPGqxzbjLoGceXUpgrade naar KadastraleKaart Pro
ZeKip9Kr5F92XDLKwkLWO2Upgrade naar KadastraleKaart Pro
Rc T I tZqwnVE FQqy5z3Upgrade naar KadastraleKaart Pro
ybXsJpABgjxpJRTUpgrade naar KadastraleKaart Pro
Vn8mnm7sjPQC D1wR qoZgUpgrade naar KadastraleKaart Pro
to6NQda4gP Upgrade naar KadastraleKaart Pro
UkVnfcB3WOw8OeP4J9Upgrade naar KadastraleKaart Pro
j5PlYLvdUpgrade naar KadastraleKaart Pro
vQyyJVAAsuNQ nMp fUpgrade naar KadastraleKaart Pro
31/07/2008

Percelen
Gebruik de zoekbalk of klik op een perceel om informatie over het perceel te bekijken.