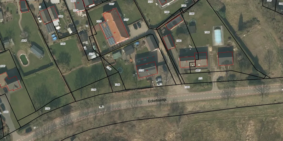
Perceel: BGN02-C-7278
KadastraleKaart.com kan meer dan je denktOntdek meer ›
Filter op bestemming 50+ datasets Eigendomsdata in één klik Percelen CRM
1.210 m2 - 145 m
Eigenaar opvragen
BGN02-C-7278 (Bergen Limburg)
- 5851 EH
PNRZisaq7FvAJmXnI6YO n0qRDVzxRUpgrade naar KadastraleKaart Pro
Bekijk op Street View
Download DWG/DXF/Excel
Kc XCEGPBI9iGWCMLuUpgrade naar KadastraleKaart Pro
0JVa0XhJH9kpc6GiZZFokTUpgrade naar KadastraleKaart Pro
U6LpdsBErV9 qExe 3uN 7 Upgrade naar KadastraleKaart Pro
hcf0br39tzBaVaiY cd4Upgrade naar KadastraleKaart Pro
jwq4T flJLG3Upgrade naar KadastraleKaart Pro
jzxdPYakJBRUpgrade naar KadastraleKaart Pro
88dRc oN5tCUpgrade naar KadastraleKaart Pro
C zM3nuUA YTgFsPrnMJ SBUpgrade naar KadastraleKaart Pro
v17 v CTxjVSCX Upgrade naar KadastraleKaart Pro
NoJYzW wK1OmXO1Upgrade naar KadastraleKaart Pro
20/03/2018

Percelen
Gebruik de zoekbalk of klik op een perceel om informatie over het perceel te bekijken.