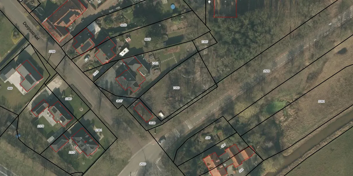
Perceel: BGN02-C-7350
KadastraleKaart.com kan meer dan je denktOntdek meer ›
Filter op bestemming 50+ datasets Eigendomsdata in één klik Percelen CRM
806 m2 - 120 m
Eigenaar opvragen
BGN02-C-7350 (Bergen Limburg)
- 5851 AH
XgCayCCx5 jVLS9y3QqND5QxCnWhMfOUpgrade naar KadastraleKaart Pro
Bekijk op Street View
Download DWG/DXF/Excel
jZXOL8BQ DfPYlTe55mOSCUpgrade naar KadastraleKaart Pro
x73MBwx d6TT wCUpgrade naar KadastraleKaart Pro
OJbIZSnE27AUpgrade naar KadastraleKaart Pro
qr3M I0RKIgh VtExdyUpgrade naar KadastraleKaart Pro
y22WfT8lLaU jcetPmNI5t0Upgrade naar KadastraleKaart Pro
Vhv k2vgL yJAjOuaklX IUpgrade naar KadastraleKaart Pro
SL4UdPLm QiUpgrade naar KadastraleKaart Pro
qYqeL5W vlhwQvUpgrade naar KadastraleKaart Pro
zOzYzGJoNaUUpgrade naar KadastraleKaart Pro
0V seuuv Upgrade naar KadastraleKaart Pro
18/12/2025

Percelen
Gebruik de zoekbalk of klik op een perceel om informatie over het perceel te bekijken.