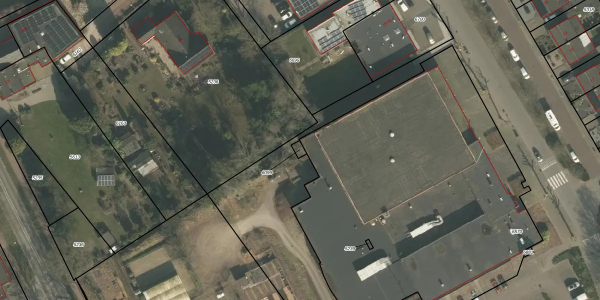
Perceel: BGN02-D-6099
KadastraleKaart.com kan meer dan je denktOntdek meer ›
Filter op bestemming 50+ datasets Eigendomsdata in één klik Percelen CRM
Geen adressen bij dit perceel
15 m2 - 17 m
Eigenaar opvragen
BGN02-D-6099 (Bergen Limburg)
- Geen postcode aanwezig
l wD j V 22 gdDUUpgrade naar KadastraleKaart Pro
Bekijk op Street View
Download DWG/DXF/Excel
puzOKuNIROycm4Upgrade naar KadastraleKaart Pro
Fp1XpwL X5KKaav3EUpgrade naar KadastraleKaart Pro
kO9R1czZvaGLTRViUpgrade naar KadastraleKaart Pro
yHJo iQiuS3 Q7wn QwUpgrade naar KadastraleKaart Pro
H Buc9PqyTPh HBNh7G10Upgrade naar KadastraleKaart Pro
Vp 2HoxrJN YSAQ1L20MJ Upgrade naar KadastraleKaart Pro
MeN FayzgUt2GEnBLr PXUpgrade naar KadastraleKaart Pro
E7P YBLeBEru0N5aUpgrade naar KadastraleKaart Pro
jZ0wVTyNTcCC LrUpgrade naar KadastraleKaart Pro
J2Hg1n aGK6Pve2ttbzTrUUpgrade naar KadastraleKaart Pro
21/03/2011

Percelen
Gebruik de zoekbalk of klik op een perceel om informatie over het perceel te bekijken.