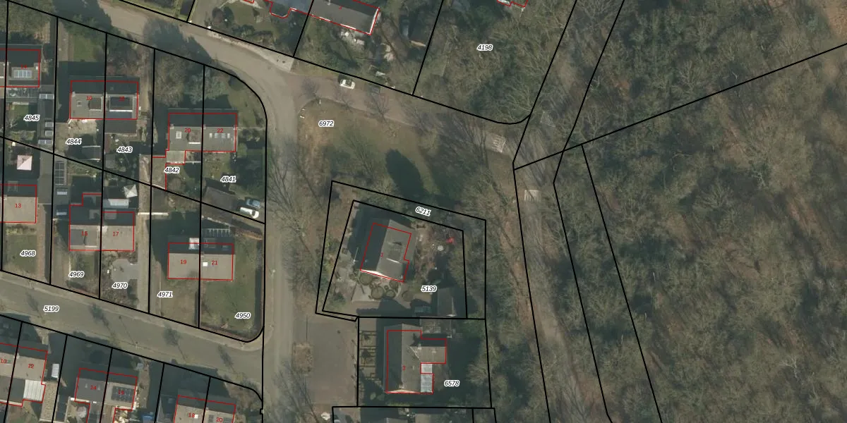
Perceel: BGN02-D-6211
KadastraleKaart.com kan meer dan je denktOntdek meer ›
Filter op bestemming 50+ datasets Eigendomsdata in één klik Percelen CRM
Geen adressen bij dit perceel
335 m2 - 191 m
Eigenaar opvragen
BGN02-D-6211 (Bergen Limburg)
- Geen postcode aanwezig
EOldpwIo pH7sLwpMsTpu Upgrade naar KadastraleKaart Pro
Bekijk op Street View
Download DWG/DXF/Excel
Jeaa3y4lY B16IUpgrade naar KadastraleKaart Pro
AungKV2rmvrTpUZ 3XUpgrade naar KadastraleKaart Pro
f5xAuA TmJwIdWW Upgrade naar KadastraleKaart Pro
WUjQ2GQuPUpgrade naar KadastraleKaart Pro
AMhVwxKSMED T IbNe ZAmiUpgrade naar KadastraleKaart Pro
hQNWzPvm17Fv6EWwuM6xrWUpgrade naar KadastraleKaart Pro
KdP3tCw2OKSoQ Upgrade naar KadastraleKaart Pro
RGzfzYc8u n BsB 1GbUpgrade naar KadastraleKaart Pro
z8PQTT8uAS rhOFGJku0WUpgrade naar KadastraleKaart Pro
B1WG00kYQYIeuVeEUpgrade naar KadastraleKaart Pro
20/08/2008

Percelen
Gebruik de zoekbalk of klik op een perceel om informatie over het perceel te bekijken.