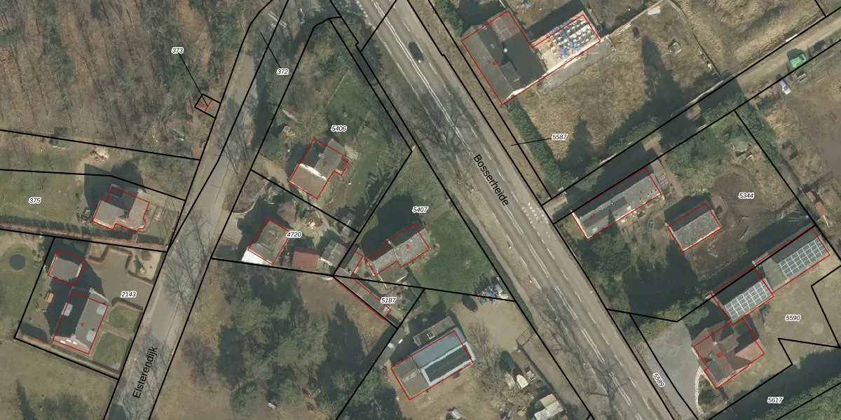
Perceel: BGN02-F-5407
KadastraleKaart.com kan meer dan je denktOntdek meer ›
Filter op bestemming 50+ datasets Eigendomsdata in één klik Percelen CRM
802 m2 - 199 m
Eigenaar opvragen
BGN02-F-5407 (Bergen Limburg)
- 5855 EC
p44h9dYuGo7GOTxuqYMsI0NS2dZwUpgrade naar KadastraleKaart Pro
Bekijk op Street View
Download DWG/DXF/Excel
mLVoToaVUpgrade naar KadastraleKaart Pro
8lrhvge L RFfBnakVPKUpgrade naar KadastraleKaart Pro
N CXzBWSu7 M4ARx dbTUpgrade naar KadastraleKaart Pro
c gbQZRr7XhrUv334l DUpgrade naar KadastraleKaart Pro
f9hUtvz0Bohm66OVFqx IdlUpgrade naar KadastraleKaart Pro
dwFp GMVFzUpgrade naar KadastraleKaart Pro
CUkN2JhMUpgrade naar KadastraleKaart Pro
zGMs mjp pi89TnUpgrade naar KadastraleKaart Pro
VD1NGus8bfLUpgrade naar KadastraleKaart Pro
ucfE BPo5F3 yj Upgrade naar KadastraleKaart Pro
18/04/2023

Percelen
Gebruik de zoekbalk of klik op een perceel om informatie over het perceel te bekijken.