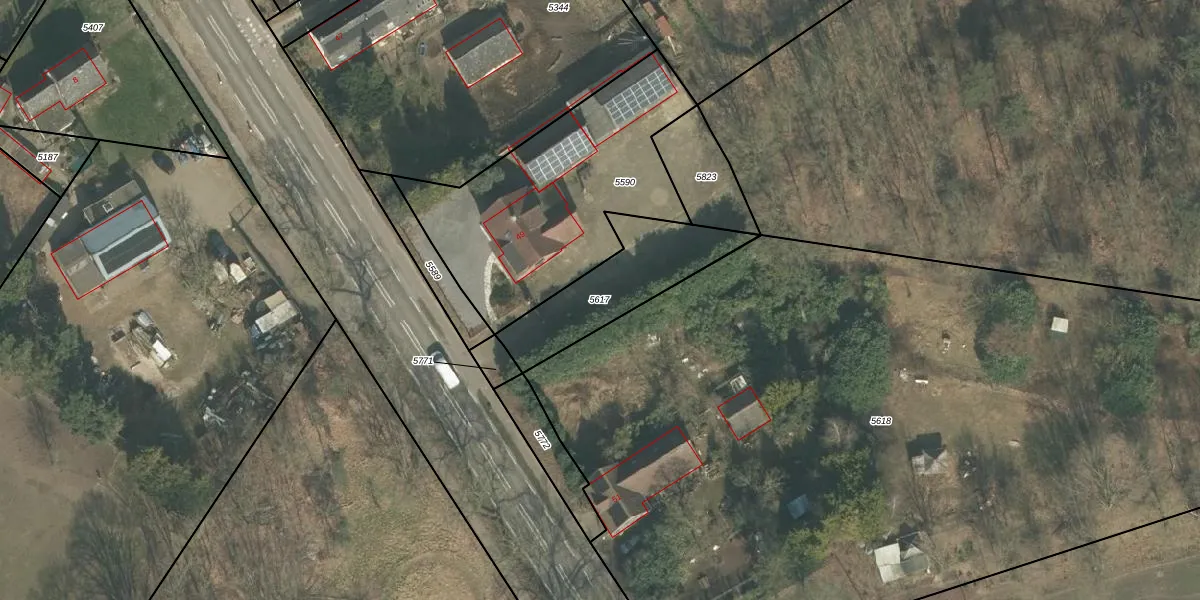
Perceel: BGN02-F-5617
KadastraleKaart.com kan meer dan je denktOntdek meer ›
Filter op bestemming 50+ datasets Eigendomsdata in één klik Percelen CRM
Geen adressen bij dit perceel
380 m2 - 113 m
Eigenaar opvragen
BGN02-F-5617 (Bergen Limburg)
- Geen postcode aanwezig
46 KXohXBt2vAdKIadLHj Upgrade naar KadastraleKaart Pro
Bekijk op Street View
Download DWG/DXF/Excel
bOEYMXAu6ToEnnELrUpgrade naar KadastraleKaart Pro
gLi XFGb577ahUpgrade naar KadastraleKaart Pro
NQdZX5HCUpgrade naar KadastraleKaart Pro
o K66zAKJUpgrade naar KadastraleKaart Pro
lgt541gCcUpgrade naar KadastraleKaart Pro
TBswSQz58cXDkUpgrade naar KadastraleKaart Pro
gimKH2nuhwP3lR4Upgrade naar KadastraleKaart Pro
omZ30w1E5QzPb6ZsUpgrade naar KadastraleKaart Pro
NM Kbgs Upgrade naar KadastraleKaart Pro
51nqeLqSnF3w SoAUpgrade naar KadastraleKaart Pro
04/08/2008

Percelen
Gebruik de zoekbalk of klik op een perceel om informatie over het perceel te bekijken.