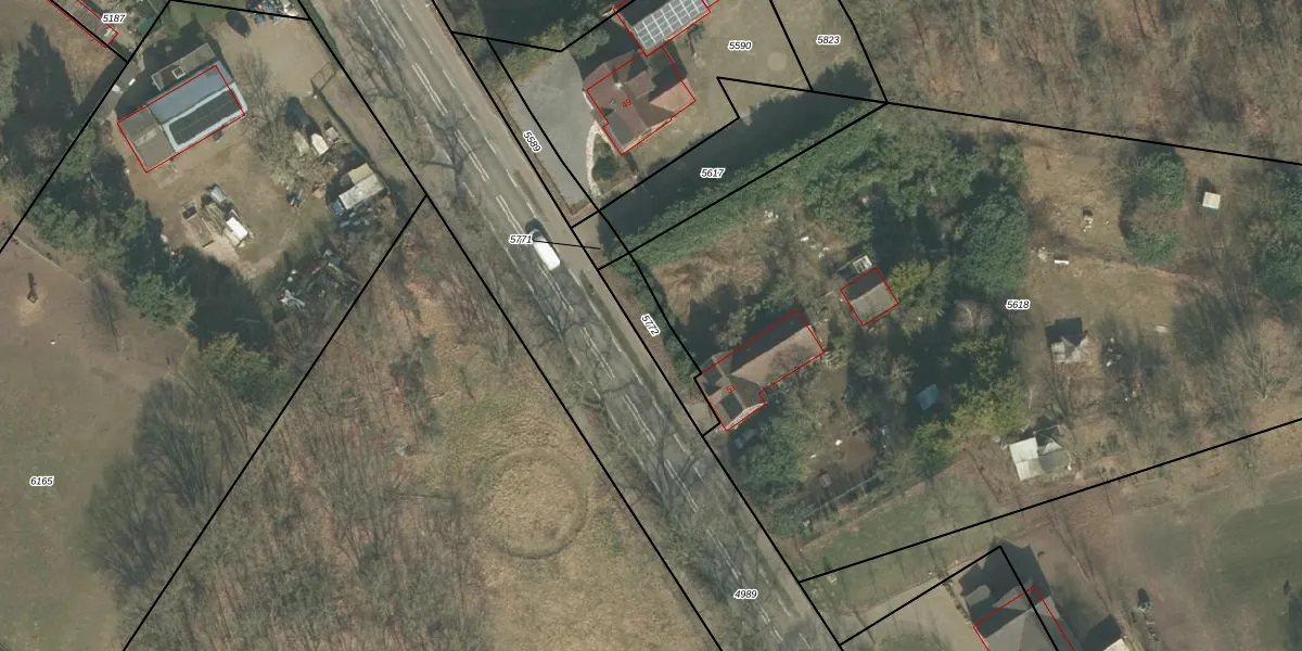
Perceel: BGN02-F-5772
KadastraleKaart.com kan meer dan je denktOntdek meer ›
Filter op bestemming 50+ datasets Eigendomsdata in één klik Percelen CRM
Geen adressen bij dit perceel
115 m2 - 70 m
Eigenaar opvragen
BGN02-F-5772 (Bergen Limburg)
- Geen postcode aanwezig
9 xrPzlYteqvunbIRBN t E2kJQUpgrade naar KadastraleKaart Pro
Bekijk op Street View
Download DWG/DXF/Excel
YSxSWW3sQtw6wf8BSNGcef Upgrade naar KadastraleKaart Pro
6d4QcFclDX0BUpgrade naar KadastraleKaart Pro
uHjYAj6 SBd85UDs40q FUpgrade naar KadastraleKaart Pro
8nSYK3JTiXWm7Upgrade naar KadastraleKaart Pro
YLlGDaLaKpGWqbw fUpgrade naar KadastraleKaart Pro
g76dPf8 mJUpgrade naar KadastraleKaart Pro
NAMwcY1KUpgrade naar KadastraleKaart Pro
Jtn uu7u4BNOD B X5vgUpgrade naar KadastraleKaart Pro
zPX rHL7ZbFuAUpgrade naar KadastraleKaart Pro
hGR2o4ljPyWUpgrade naar KadastraleKaart Pro
20/11/2019

Percelen
Gebruik de zoekbalk of klik op een perceel om informatie over het perceel te bekijken.