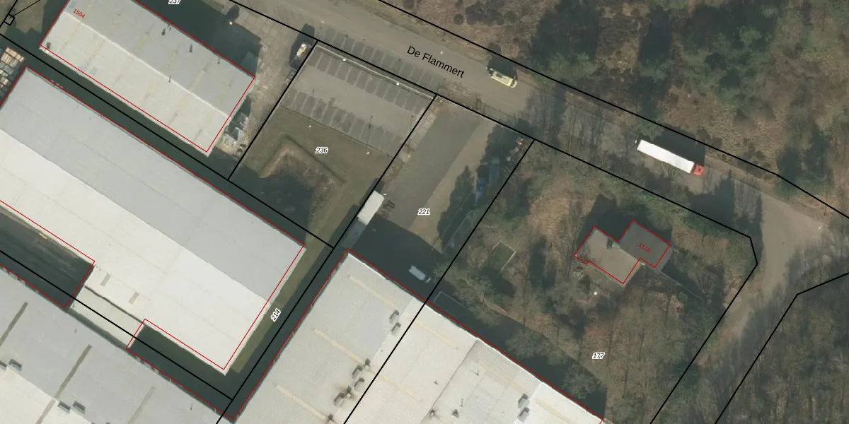
Perceel: BGN02-M-221
KadastraleKaart.com kan meer dan je denktOntdek meer ›
Filter op bestemming 50+ datasets Eigendomsdata in één klik Percelen CRM
Geen adressen bij dit perceel
3.531 m2 - 333 m
Eigenaar opvragen
BGN02-M-221 (Bergen Limburg)
- Geen postcode aanwezig
8p2vPe5NdYkQzDuPF RLDy8 z1LUpgrade naar KadastraleKaart Pro
Bekijk op Street View
Download DWG/DXF/Excel
3hse4aleD0ups8A7JUpgrade naar KadastraleKaart Pro
Mf5Unch6Z0iDI5 lutKjSUpgrade naar KadastraleKaart Pro
Yqun1tuWD3eharHgVhbiUpgrade naar KadastraleKaart Pro
Nn0LqAlDQonUpgrade naar KadastraleKaart Pro
DTJZu yXGvjZNXDINzUpgrade naar KadastraleKaart Pro
a7tjA7ojja 8ilG lAZQCaUpgrade naar KadastraleKaart Pro
4NXsa4UkUpgrade naar KadastraleKaart Pro
yYNBjCVVeDtNLfoUpgrade naar KadastraleKaart Pro
u vGn P6Y TjQdgsUpgrade naar KadastraleKaart Pro
a8aikIlQUpgrade naar KadastraleKaart Pro
18/06/2010

Percelen
Gebruik de zoekbalk of klik op een perceel om informatie over het perceel te bekijken.