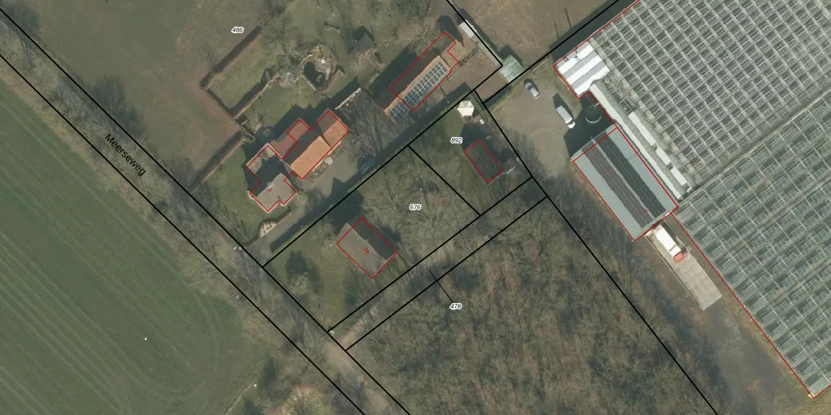
Perceel: BGN02-N-676
KadastraleKaart.com kan meer dan je denktOntdek meer ›
Filter op bestemming 50+ datasets Eigendomsdata in één klik Percelen CRM
1.060 m2 - 139 m
Eigenaar opvragen
BGN02-N-676 (Bergen Limburg)
- 5856 CE
btRUx25aHl KQYUD2Shbt F8p nUpgrade naar KadastraleKaart Pro
Verkoopprijs opvragen
Bekijk op Street View
Download DWG/DXF/Excel
UnSD8obS416idHMp eUpgrade naar KadastraleKaart Pro
71 KRJ1XcHUpgrade naar KadastraleKaart Pro
wGb WU fA6b4YCI8lf JbCUpgrade naar KadastraleKaart Pro
06kleIzSfXcpWd Upgrade naar KadastraleKaart Pro
jvrj9qlt Upgrade naar KadastraleKaart Pro
bukU1L BGmtw3Upgrade naar KadastraleKaart Pro
nW5YMQIZcMHndrfTCOUpgrade naar KadastraleKaart Pro
3dDjv98tLUpgrade naar KadastraleKaart Pro
DFTnvLWwNYrjXYBRh zUpgrade naar KadastraleKaart Pro
5HXYwPSdUpgrade naar KadastraleKaart Pro
08/08/2008

Percelen
Gebruik de zoekbalk of klik op een perceel om informatie over het perceel te bekijken.