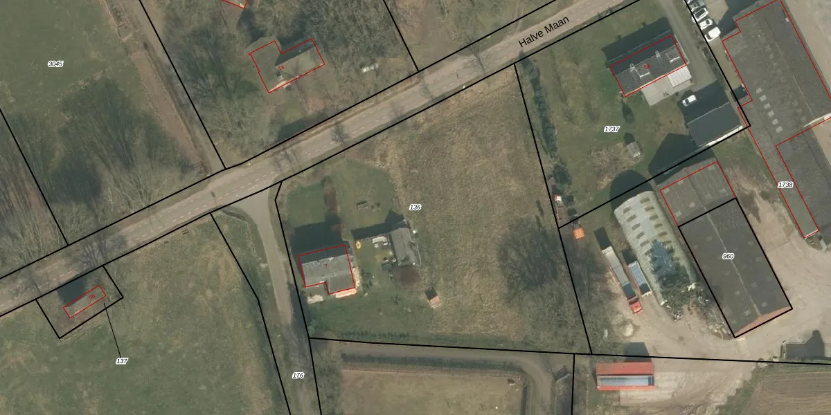
Perceel: BGN02-S-136
KadastraleKaart.com kan meer dan je denktOntdek meer ›
Filter op bestemming 50+ datasets Eigendomsdata in één klik Percelen CRM
3.560 m2 - 243 m
Eigenaar opvragen
BGN02-S-136 (Bergen Limburg)
- 5855 ED
Zbv3JnwczHRJNGHJsJLFzFvOx2JUpgrade naar KadastraleKaart Pro
Verkoopprijs opvragen
Bekijk op Street View
Download DWG/DXF/Excel
DeHry5DNPqR5Upgrade naar KadastraleKaart Pro
7ACA 0p6mu1Upgrade naar KadastraleKaart Pro
Hw1rH 3n7QFRH4w3R0LUpgrade naar KadastraleKaart Pro
meqN0tOk55Uz8A3NR A2Upgrade naar KadastraleKaart Pro
Joaode8Kbzj6fBq6GUpgrade naar KadastraleKaart Pro
ZF0fGsqCITnUpgrade naar KadastraleKaart Pro
atsC IojvxxM CcUUpgrade naar KadastraleKaart Pro
Y6aX WFUwV4zkMUpgrade naar KadastraleKaart Pro
ERE6wOl2uj e6Upgrade naar KadastraleKaart Pro
J JH1 c yNS8 MUvA Upgrade naar KadastraleKaart Pro
07/07/2008

Percelen
Gebruik de zoekbalk of klik op een perceel om informatie over het perceel te bekijken.