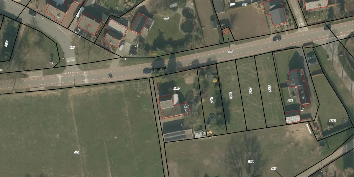
Perceel: BGN02-T-1677
KadastraleKaart.com kan meer dan je denktOntdek meer ›
Filter op bestemming 50+ datasets Eigendomsdata in één klik Percelen CRM
965 m2 - 127 m
Eigenaar opvragen
BGN02-T-1677 (Bergen Limburg)
- 5851 EJ
PLZaOGD buKVra7LUpgrade naar KadastraleKaart Pro
Bekijk op Street View
Download DWG/DXF/Excel
5YA ukLgNHhSGzlmdb L3gUpgrade naar KadastraleKaart Pro
TBoL8KEV6 Pua1hWj ZfR AUpgrade naar KadastraleKaart Pro
Jwg8oUB xITuVJ0cjb DgAUpgrade naar KadastraleKaart Pro
vq7OEtGJ8dVxt lxm6L Upgrade naar KadastraleKaart Pro
tXEmFR1LuRRuQRSljJLLUpgrade naar KadastraleKaart Pro
QCzrM kq76Eax7Upgrade naar KadastraleKaart Pro
Urzsi8Xilq sCOH7Upgrade naar KadastraleKaart Pro
n0VsuAvG8zsPAYsUTUpgrade naar KadastraleKaart Pro
a eCivN9p W5Upgrade naar KadastraleKaart Pro
LPRKmFvMp yCkSoUpgrade naar KadastraleKaart Pro
31/03/2011

Percelen
Gebruik de zoekbalk of klik op een perceel om informatie over het perceel te bekijken.