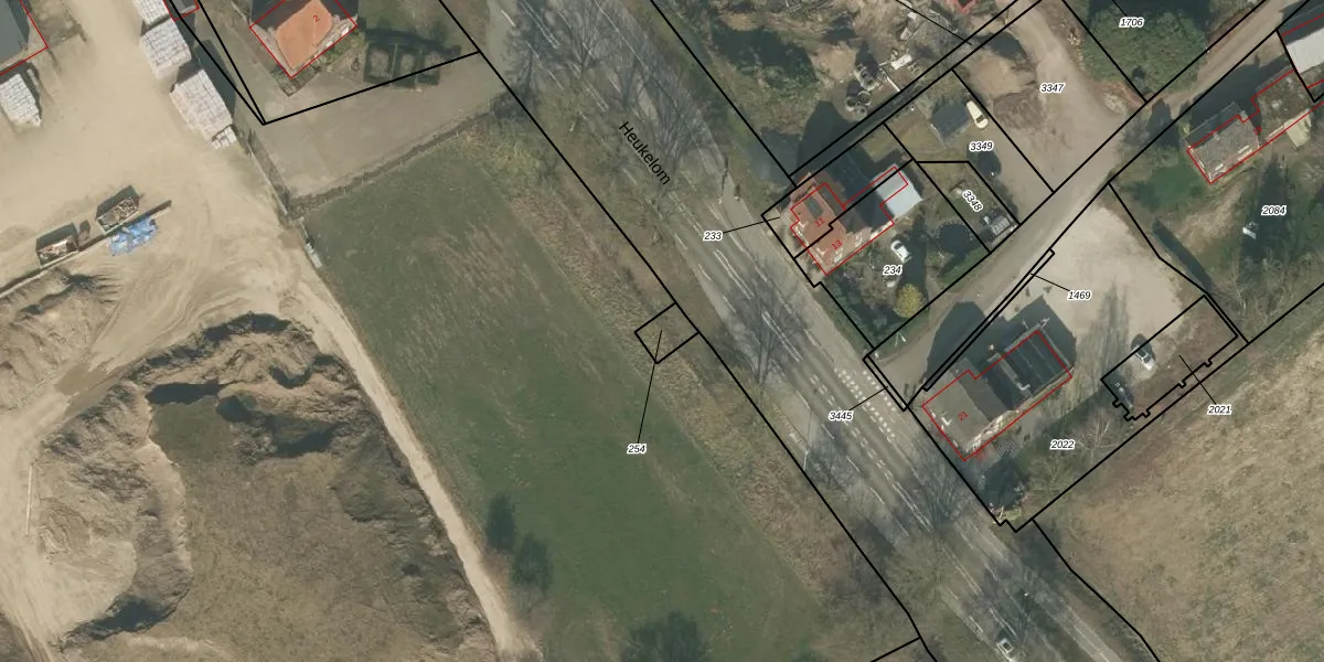
Perceel: BGN02-T-254
KadastraleKaart.com kan meer dan je denktOntdek meer ›
Filter op bestemming 50+ datasets Eigendomsdata in één klik Percelen CRM
Geen adressen bij dit perceel
50 m2 - 27 m
Eigenaar opvragen
BGN02-T-254 (Bergen Limburg)
- Geen postcode aanwezig
PwtwA29BJ66HpU EN3ksVXEQZk2SO0Upgrade naar KadastraleKaart Pro
Bekijk op Street View
Download DWG/DXF/Excel
7wajyEf07T Upgrade naar KadastraleKaart Pro
DSc16fIev2EjVUpgrade naar KadastraleKaart Pro
iyIv5G6zQ RuD2rUJDUpgrade naar KadastraleKaart Pro
M7l8QJsv5Upgrade naar KadastraleKaart Pro
gRvd3wxw 4TMTOrU3OUpgrade naar KadastraleKaart Pro
MgiEYAF7u 1kNVJQI4CDUpgrade naar KadastraleKaart Pro
2g JnDH7 MZ2BWOKVGeWAUpgrade naar KadastraleKaart Pro
mW3 Q2hrUlW0V4767zttfqUpgrade naar KadastraleKaart Pro
HWTaoHlfvQJAyEZDQUpgrade naar KadastraleKaart Pro
aw xCvQORFsKoUpgrade naar KadastraleKaart Pro
03/12/2009

Percelen
Gebruik de zoekbalk of klik op een perceel om informatie over het perceel te bekijken.