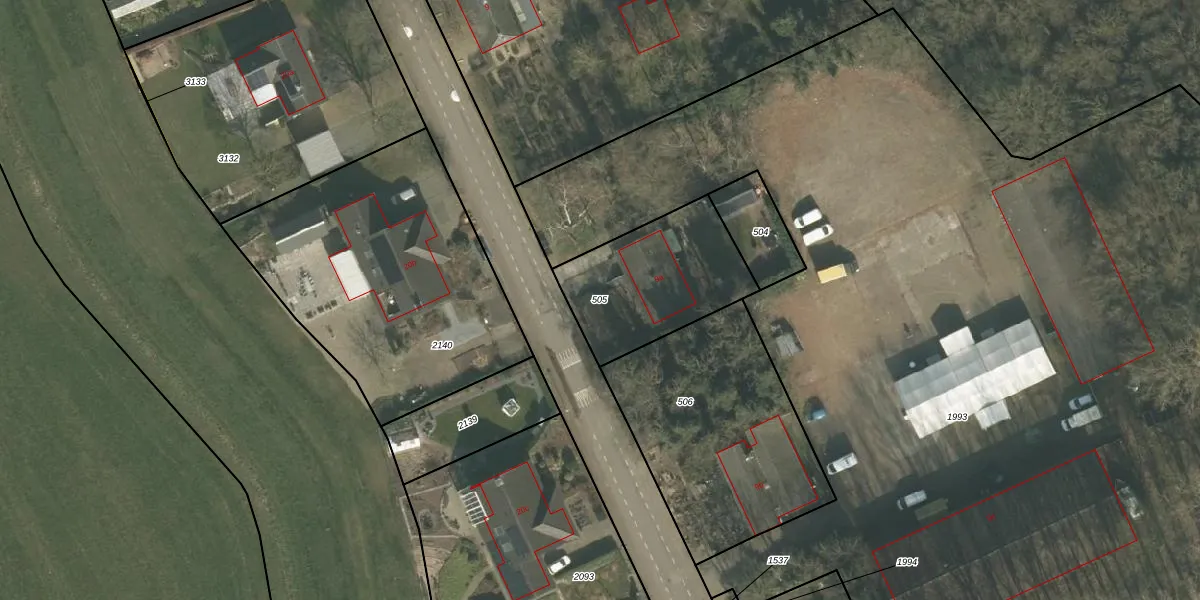
Perceel: BGN02-T-505
KadastraleKaart.com kan meer dan je denktOntdek meer ›
Filter op bestemming 50+ datasets Eigendomsdata in één klik Percelen CRM
540 m2 - 95 m
Eigenaar opvragen
BGN02-T-505 (Bergen Limburg)
- 5854 PS
VHbBc6JTTDjlXQ6GHO6R mZ49Upgrade naar KadastraleKaart Pro
Verkoopprijs opvragen
Bekijk op Street View
Download DWG/DXF/Excel
pc3a6A6sM3Upgrade naar KadastraleKaart Pro
K dNf2igh L37hrzqPzGBfUpgrade naar KadastraleKaart Pro
zEPnWg6jnRUpgrade naar KadastraleKaart Pro
RDNJU0vso9OLmbThfxUpgrade naar KadastraleKaart Pro
7EosmlMb0E4PQYbpLEUpgrade naar KadastraleKaart Pro
odbQhpV4Upgrade naar KadastraleKaart Pro
J4UnW 9rtml0pJPUpgrade naar KadastraleKaart Pro
VCJl6YCPYUpxBUpgrade naar KadastraleKaart Pro
lCkqF Z Upgrade naar KadastraleKaart Pro
0yIatbwda9q4aAx Q7GVUpgrade naar KadastraleKaart Pro
29/11/2011

Percelen
Gebruik de zoekbalk of klik op een perceel om informatie over het perceel te bekijken.