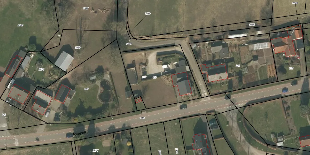
Perceel: BGN02-T-917
KadastraleKaart.com kan meer dan je denktOntdek meer ›
Filter op bestemming 50+ datasets Eigendomsdata in één klik Percelen CRM
1.465 m2 - 157 m
Eigenaar opvragen
BGN02-T-917 (Bergen Limburg)
- 5851 EK
L0iGmVFbGKRSIrX4Upgrade naar KadastraleKaart Pro
Verkoopprijs opvragen
Bekijk op Street View
Download DWG/DXF/Excel
CL7kKvVs5rgHqKxdrvd c6Upgrade naar KadastraleKaart Pro
bTZIW10k0Upgrade naar KadastraleKaart Pro
RwKutCgWmo 2nKKZDAEUpgrade naar KadastraleKaart Pro
vpomYjFgGgUpgrade naar KadastraleKaart Pro
C xrhFKIAQFcUpgrade naar KadastraleKaart Pro
OU5xhYQGXrgJpUpgrade naar KadastraleKaart Pro
egbUMFqrNfbfm7YvQGf3a Upgrade naar KadastraleKaart Pro
ayKh 6y Upgrade naar KadastraleKaart Pro
AuOT6iYgptkhRMxUpgrade naar KadastraleKaart Pro
U bFFa0L6S7Upgrade naar KadastraleKaart Pro
31/03/2011

Percelen
Gebruik de zoekbalk of klik op een perceel om informatie over het perceel te bekijken.