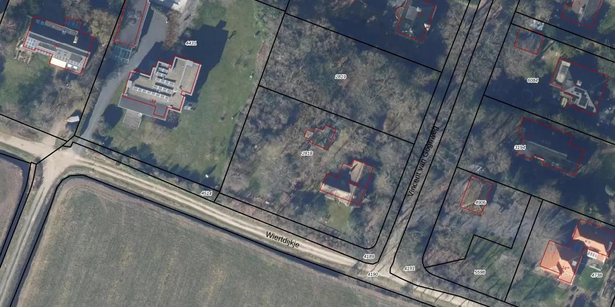
Perceel: BGN03-A-2818
KadastraleKaart.com kan meer dan je denktOntdek meer ›
Filter op bestemming 50+ datasets Eigendomsdata in één klik Percelen CRM
2.014 m2 - 181 m
Eigenaar opvragen
BGN03-A-2818 (Bergen Noord-Holland)
- 1861 CD
F50 6bqFR2RiVugZVfpUpgrade naar KadastraleKaart Pro
Bekijk op Street View
Download DWG/DXF/Excel
u8 h3FADG99qpZUpgrade naar KadastraleKaart Pro
7qqEcMUHJh1Upgrade naar KadastraleKaart Pro
FNXYdF 5 Upgrade naar KadastraleKaart Pro
X RPrivlvUpgrade naar KadastraleKaart Pro
MoPpSE zmvs1wSdA ErtEE Upgrade naar KadastraleKaart Pro
cy8gY5rdwin0ekf5KtntUpgrade naar KadastraleKaart Pro
uPXTR YHTq5KUpgrade naar KadastraleKaart Pro
dmNc6PFD w eZx41SUpgrade naar KadastraleKaart Pro
djIdZP gUpgrade naar KadastraleKaart Pro
7FM1gXI5EsUpgrade naar KadastraleKaart Pro
14/01/1998

Percelen
Gebruik de zoekbalk of klik op een perceel om informatie over het perceel te bekijken.