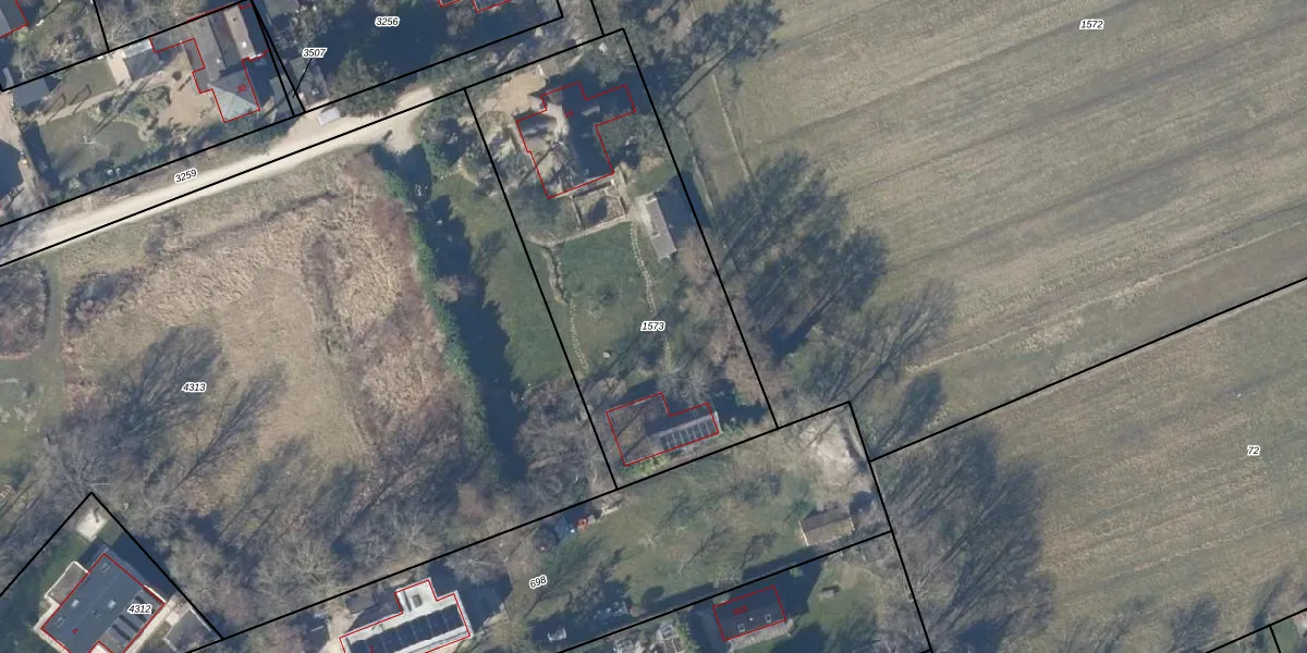
Perceel: BGN03-C-1573
KadastraleKaart.com kan meer dan je denktOntdek meer ›
Filter op bestemming 50+ datasets Eigendomsdata in één klik Percelen CRM
1.713 m2 - 184 m
Eigenaar opvragen
BGN03-C-1573 (Bergen Noord-Holland)
- 1862 CE
Li6ExtxwU5iMXWbSCgXRog7CUpgrade naar KadastraleKaart Pro
Verkoopprijs opvragen
Bekijk op Street View
Download DWG/DXF/Excel
rqqYaAXAj OpdUpgrade naar KadastraleKaart Pro
aoVi BQE1 Upgrade naar KadastraleKaart Pro
E8FdMlWTTz6evdlv7Upgrade naar KadastraleKaart Pro
uTYg7X4SVIUpgrade naar KadastraleKaart Pro
PgC X pKCoe55 uF50oxUpgrade naar KadastraleKaart Pro
2c60kCW4Sj4uTZUpgrade naar KadastraleKaart Pro
wlTBw XpbrnUpgrade naar KadastraleKaart Pro
eVaSfNooAmXc3iAMO32rUpgrade naar KadastraleKaart Pro
Pk6AOw CuTZ jYtGPDit8Upgrade naar KadastraleKaart Pro
23E6YyiMptsTUpgrade naar KadastraleKaart Pro
29/11/2002

Percelen
Gebruik de zoekbalk of klik op een perceel om informatie over het perceel te bekijken.