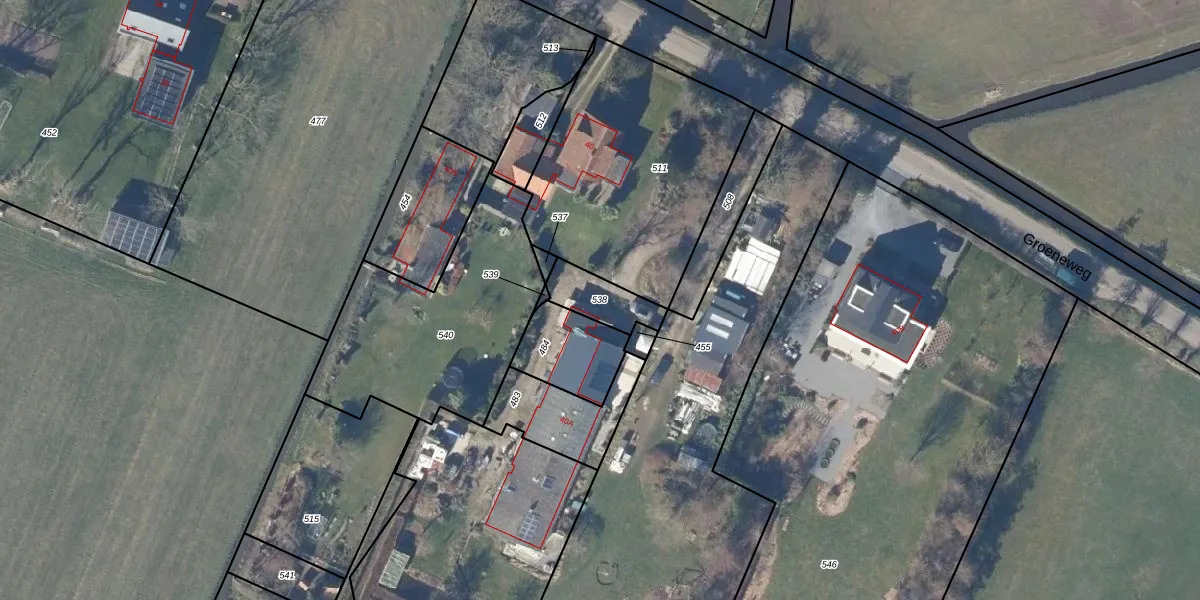
Perceel: BGN03-E-538
KadastraleKaart.com kan meer dan je denktOntdek meer ›
Filter op bestemming 50+ datasets Eigendomsdata in één klik Percelen CRM
Geen adressen bij dit perceel
123 m2 - 54 m
Eigenaar opvragen
BGN03-E-538 (Bergen Noord-Holland)
- Geen postcode aanwezig
c4AqyTnso mpZPWlSkxa pd5CfUpgrade naar KadastraleKaart Pro
Bekijk op Street View
Download DWG/DXF/Excel
WlXVfBw mphW4sV3XalUpgrade naar KadastraleKaart Pro
kV0UHfhG8irUpgrade naar KadastraleKaart Pro
0MM pGHoLoDjUpgrade naar KadastraleKaart Pro
OXLzrpQqUpgrade naar KadastraleKaart Pro
LS Qrlhqgwqtj7hMRUpgrade naar KadastraleKaart Pro
jlxFc7Ewqa1gdXWGUpgrade naar KadastraleKaart Pro
ITDGq8vAhMDte1CzYRRgUpgrade naar KadastraleKaart Pro
2yIL xycOz2hoz Q 1honUpgrade naar KadastraleKaart Pro
lBO8mE83OkGFOAX3FA Upgrade naar KadastraleKaart Pro
yzRJ9 vQ sDRntSZgQEDAGUpgrade naar KadastraleKaart Pro
16/08/2013

Percelen
Gebruik de zoekbalk of klik op een perceel om informatie over het perceel te bekijken.