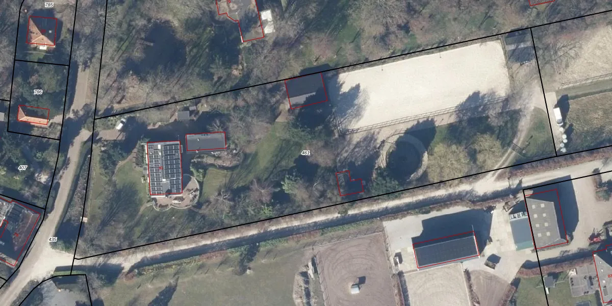
Perceel: BGN03-F-461
KadastraleKaart.com kan meer dan je denktOntdek meer ›
Filter op bestemming 50+ datasets Eigendomsdata in één klik Percelen CRM
6.670 m2 - 396 m
Eigenaar opvragen
BGN03-F-461 (Bergen Noord-Holland)
- 1861 PC
1cg Nx0 xtUj6x y7l wDKsRB9CUpgrade naar KadastraleKaart Pro
Verkoopprijs opvragen
Bekijk op Street View
Download DWG/DXF/Excel
kx34lD0A2zosvwmAxHrzFIOUpgrade naar KadastraleKaart Pro
NoIHPucjy 7JfOWEwcUpgrade naar KadastraleKaart Pro
afoiyG3tGBlqUpgrade naar KadastraleKaart Pro
30tA7yASZvZlULcI5Upgrade naar KadastraleKaart Pro
6Zr4xPb zdNS Upgrade naar KadastraleKaart Pro
nLq10touxrPHb wsGn6LHTUpgrade naar KadastraleKaart Pro
hT mvC1wT hwUpgrade naar KadastraleKaart Pro
lBrwJJdPRURMnQ XEwUpgrade naar KadastraleKaart Pro
NnlXz1VOJVtOEF3Gs9JGUpgrade naar KadastraleKaart Pro
nX qeRW8aPUpgrade naar KadastraleKaart Pro
24/03/2010

Percelen
Gebruik de zoekbalk of klik op een perceel om informatie over het perceel te bekijken.