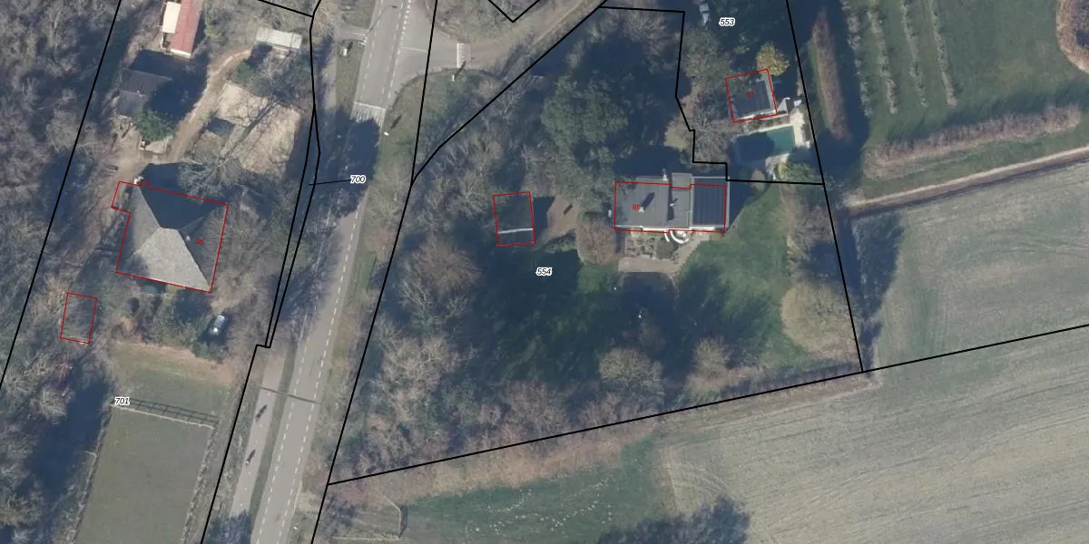
Perceel: BGN03-F-554
KadastraleKaart.com kan meer dan je denktOntdek meer ›
Filter op bestemming 50+ datasets Eigendomsdata in één klik Percelen CRM
4.972 m2 - 313 m
Eigenaar opvragen
BGN03-F-554 (Bergen Noord-Holland)
- 1861 PC
zMo g lTsG3bUmwigcHlwUpgrade naar KadastraleKaart Pro
Bekijk op Street View
Download DWG/DXF/Excel
y6zvb975u2WUpgrade naar KadastraleKaart Pro
NRqGz qW3uH Upgrade naar KadastraleKaart Pro
qW a3qY OmE9Upgrade naar KadastraleKaart Pro
YmfT apizsiB98Upgrade naar KadastraleKaart Pro
Ztct1G5Ai6cwfUpgrade naar KadastraleKaart Pro
HVGNo8b30dUpgrade naar KadastraleKaart Pro
jBytXLr wiVaUpgrade naar KadastraleKaart Pro
cqbm5L q 4EtsIy7 odUpgrade naar KadastraleKaart Pro
o9pptXpfUpgrade naar KadastraleKaart Pro
q rP lmcyrJTCm67yRlneUpgrade naar KadastraleKaart Pro
24/03/2010

Percelen
Gebruik de zoekbalk of klik op een perceel om informatie over het perceel te bekijken.