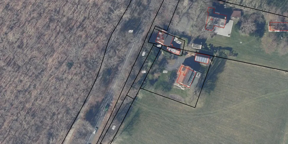
Perceel: BGN03-F-811
KadastraleKaart.com kan meer dan je denktOntdek meer ›
Filter op bestemming 50+ datasets Eigendomsdata in één klik Percelen CRM
Geen adressen bij dit perceel
230 m2 - 90 m
Eigenaar opvragen
BGN03-F-811 (Bergen Noord-Holland)
- Geen postcode aanwezig
EqXO2VayLb5GkJL xX7irBcUpgrade naar KadastraleKaart Pro
Bekijk op Street View
Download DWG/DXF/Excel
eS3exALB 7 LLk6EBRUpgrade naar KadastraleKaart Pro
Yz UQ3b8DZ Upgrade naar KadastraleKaart Pro
L60 EtC6co920uV2hfDUUpgrade naar KadastraleKaart Pro
XeullztmlJ2KYD7 VUpgrade naar KadastraleKaart Pro
GOidjuJorpAXvDupnqhWPFUpgrade naar KadastraleKaart Pro
8F aaq2HeOox9SUpgrade naar KadastraleKaart Pro
TdMu0fqr Ya7914 MfSCVvHUpgrade naar KadastraleKaart Pro
AC9MnkNQdG Upgrade naar KadastraleKaart Pro
OPkLQz0bh1cMniBB tUpgrade naar KadastraleKaart Pro
dKziU4FYgUpgrade naar KadastraleKaart Pro
01/07/2022

Percelen
Gebruik de zoekbalk of klik op een perceel om informatie over het perceel te bekijken.