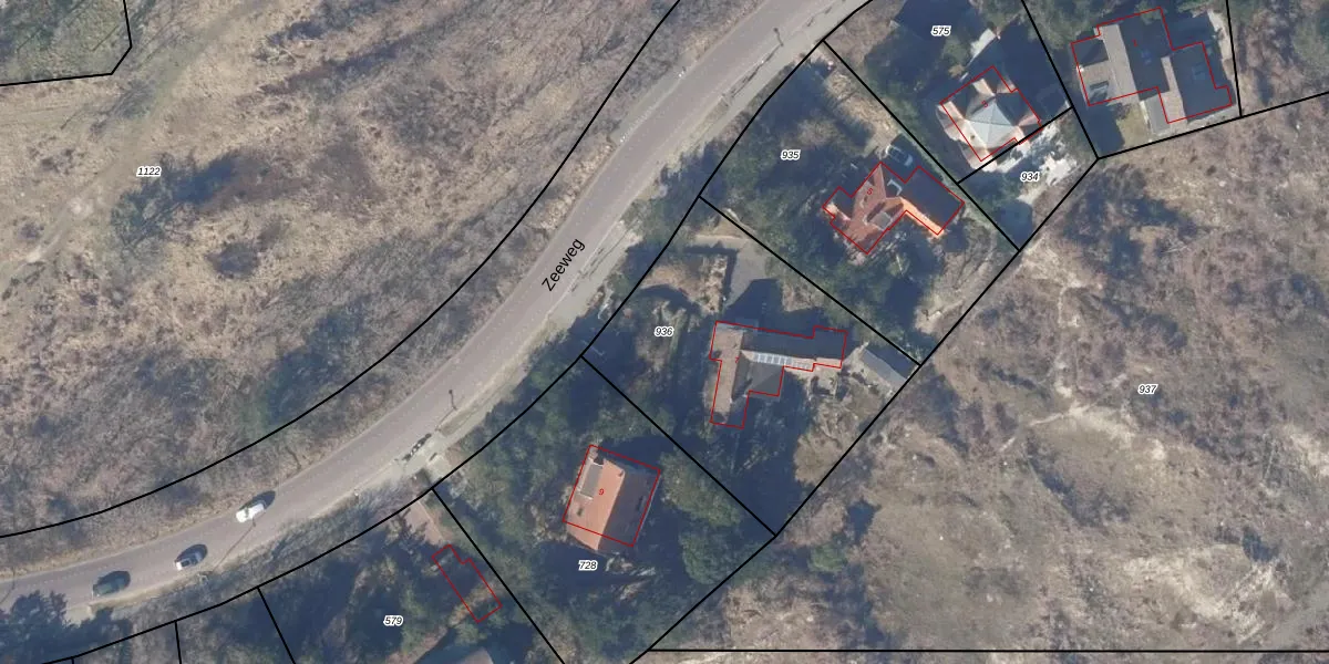
Perceel: BGN03-G-936
KadastraleKaart.com kan meer dan je denktOntdek meer ›
Filter op bestemming 50+ datasets Eigendomsdata in één klik Percelen CRM
1.293 m2 - 146 m
Eigenaar opvragen
BGN03-G-936 (Bergen Noord-Holland)
- 1865 AB
Zfw OoCi2inOYjqkC57sYaxmu Upgrade naar KadastraleKaart Pro
Verkoopprijs opvragen
Bekijk op Street View
Download DWG/DXF/Excel
V5hbb m dh mqnmjK7Z1KgwUpgrade naar KadastraleKaart Pro
GxSGKvb2Upgrade naar KadastraleKaart Pro
ihcvZljlgwBktNNLN 7LUpgrade naar KadastraleKaart Pro
Cq2W6VWHlxGkBUpgrade naar KadastraleKaart Pro
MNp 2MhNDYUpgrade naar KadastraleKaart Pro
G89NcNtS cjmfg8Ep6iPUpgrade naar KadastraleKaart Pro
Awk 7UrrPUpgrade naar KadastraleKaart Pro
MEV LYKjn8 tzRysPGUpgrade naar KadastraleKaart Pro
1CtUqF9XP00ybNHGrxbO0JGUpgrade naar KadastraleKaart Pro
zbQYpldqTUpgrade naar KadastraleKaart Pro
05/10/2006

Percelen
Gebruik de zoekbalk of klik op een perceel om informatie over het perceel te bekijken.