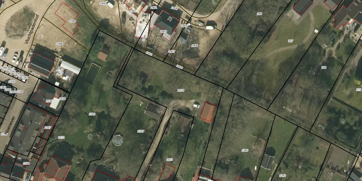
Perceel: BGN04-A-2074
KadastraleKaart.com kan meer dan je denktOntdek meer ›
Filter op bestemming 50+ datasets Eigendomsdata in één klik Percelen CRM
2.210 m2 - 388 m
Eigenaar opvragen
BGN04-A-2074 (Buggenum)
- 6082 AP
5icEPk Y9Aus8c50jB4bN09stu mdVUpgrade naar KadastraleKaart Pro
Bekijk op Street View
Download DWG/DXF/Excel
84Taz6a0xrMvDpIRjT3VMUTUpgrade naar KadastraleKaart Pro
LHGyp1iD4kG8qTcGs9Upgrade naar KadastraleKaart Pro
OZxw dvZ7svuZ wEEyUpgrade naar KadastraleKaart Pro
yyL8A Kn MTS gjyo QsUpgrade naar KadastraleKaart Pro
2p71c 2F6Kn1RNhrgoNJUpgrade naar KadastraleKaart Pro
3uGDRIVih9X7o4Ik4 c JUpgrade naar KadastraleKaart Pro
Dp hAeH5 JEj GOILXUpgrade naar KadastraleKaart Pro
ftzbmmguE3CD2zs9 hjMGTUpgrade naar KadastraleKaart Pro
t6qN1r9WTMRB7tV5qrZ4cUpgrade naar KadastraleKaart Pro
50aAUkNwdNZDDawgpk2Upgrade naar KadastraleKaart Pro
19/12/2006

Percelen
Gebruik de zoekbalk of klik op een perceel om informatie over het perceel te bekijken.