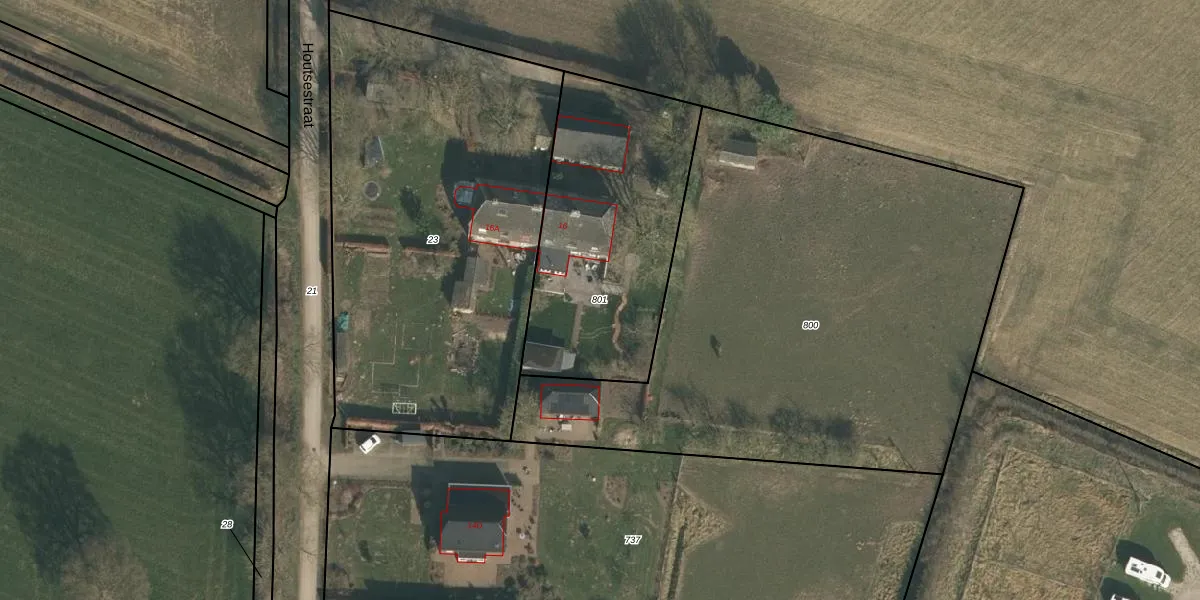
Perceel: BGY00-B-801
KadastraleKaart.com kan meer dan je denktOntdek meer ›
Filter op bestemming 50+ datasets Eigendomsdata in één klik Percelen CRM
1.085 m2 - 143 m
Eigenaar opvragen
BGY00-B-801 (Balgoy)
- 6613 AC
qC kINKCLJhbYmMFskgb0l9Upgrade naar KadastraleKaart Pro
Verkoopprijs opvragen
Bekijk op Street View
Download DWG/DXF/Excel
aIIJZuqVotxhdgUpgrade naar KadastraleKaart Pro
RYgccsUu5Upgrade naar KadastraleKaart Pro
8mR 9WexSmBu 9IUpgrade naar KadastraleKaart Pro
o7v7 g8 KUpgrade naar KadastraleKaart Pro
9hhDS FudZEg4dosxkgUpgrade naar KadastraleKaart Pro
b6Y13lRdIkF4F5x6pv6hlB9Upgrade naar KadastraleKaart Pro
f7BUcIW76H3I h4d3qLscBUpgrade naar KadastraleKaart Pro
hX9cckcB9E7z3GQWUpgrade naar KadastraleKaart Pro
8j2P9OZls9WoGUpgrade naar KadastraleKaart Pro
NfFsLgdT1EUpgrade naar KadastraleKaart Pro
14/06/2019

Percelen
Gebruik de zoekbalk of klik op een perceel om informatie over het perceel te bekijken.