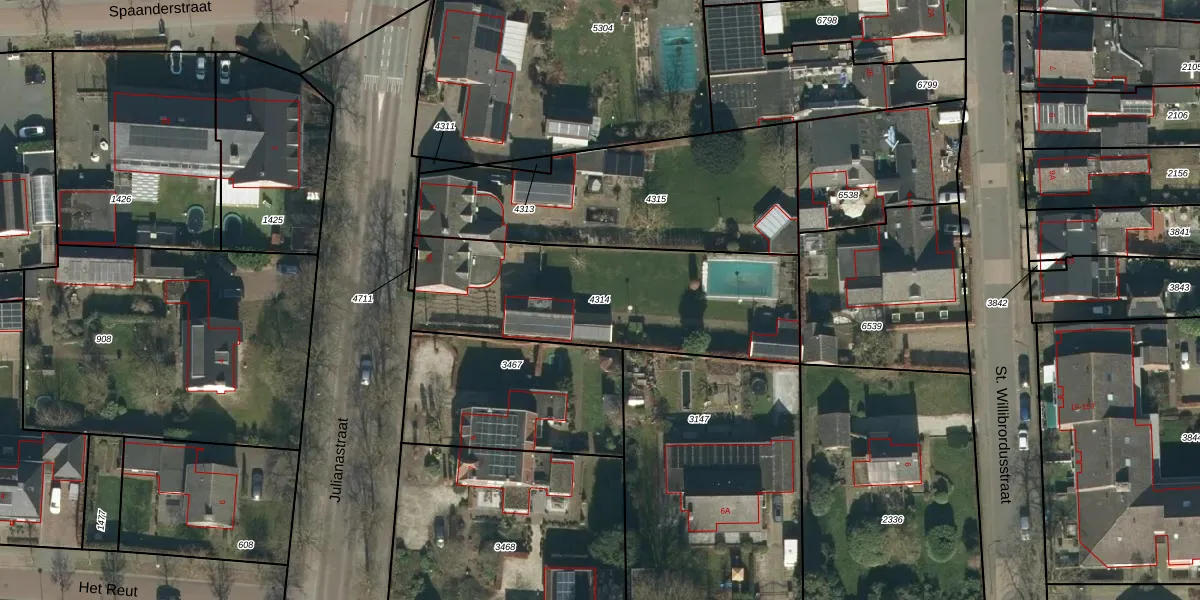
Perceel: BHM00-B-4314
KadastraleKaart.com kan meer dan je denktOntdek meer ›
Filter op bestemming 50+ datasets Eigendomsdata in één klik Percelen CRM
1.075 m2 - 164 m
Eigenaar opvragen
BHM00-B-4314 (Berghem)
- 5351 AL
cOWlskAhIFL8qiUYYJ Upgrade naar KadastraleKaart Pro
Bekijk op Street View
Download DWG/DXF/Excel
SnEzghtnV9HKKyk2WLIUpgrade naar KadastraleKaart Pro
sELGd5j2Ft7SW td CUpgrade naar KadastraleKaart Pro
0 1JeEXSUpgrade naar KadastraleKaart Pro
QSJdhC2aIZ iFMUpgrade naar KadastraleKaart Pro
VAD4BIT UsTORr68nBUpgrade naar KadastraleKaart Pro
McnIoSW5 jFgYFUUpgrade naar KadastraleKaart Pro
p 7ZMFr5 gUpgrade naar KadastraleKaart Pro
0s24kD98SkhW N3Upgrade naar KadastraleKaart Pro
wN4ZtAADUgqvN6 5 AZFUpgrade naar KadastraleKaart Pro
pgW7AOOiXmWlUpgrade naar KadastraleKaart Pro
08/07/2009

Percelen
Gebruik de zoekbalk of klik op een perceel om informatie over het perceel te bekijken.