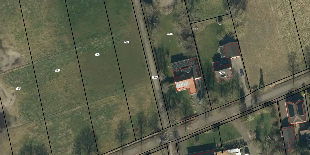
Perceel: BHM00-C-2510
KadastraleKaart.com kan meer dan je denktOntdek meer ›
Filter op bestemming 50+ datasets Eigendomsdata in één klik Percelen CRM
Geen adressen bij dit perceel
650 m2 - 261 m
Eigenaar opvragen
BHM00-C-2510 (Berghem)
- Geen postcode aanwezig
ZVVAgGDa xy5B kmqUpgrade naar KadastraleKaart Pro
Bekijk op Street View
Download DWG/DXF/Excel
TTQFkNClk3C7Upgrade naar KadastraleKaart Pro
eeQGbbNE9tzUpgrade naar KadastraleKaart Pro
7SZmv hkGgp1wE dwoJ 7Upgrade naar KadastraleKaart Pro
chVOmjf yRcUpgrade naar KadastraleKaart Pro
4 C AUB 0jEFAEjyLQciFYsUpgrade naar KadastraleKaart Pro
6ZFp9GOHmQIvAYN8Upgrade naar KadastraleKaart Pro
9BYajK0ZY4RbKuYKQI9C xUpgrade naar KadastraleKaart Pro
FP7C124RGUpgrade naar KadastraleKaart Pro
k5ZgTgcrxa6Upgrade naar KadastraleKaart Pro
Db9I7PndrUAJVtmnXy8Upgrade naar KadastraleKaart Pro
05/12/2025

Percelen
Gebruik de zoekbalk of klik op een perceel om informatie over het perceel te bekijken.