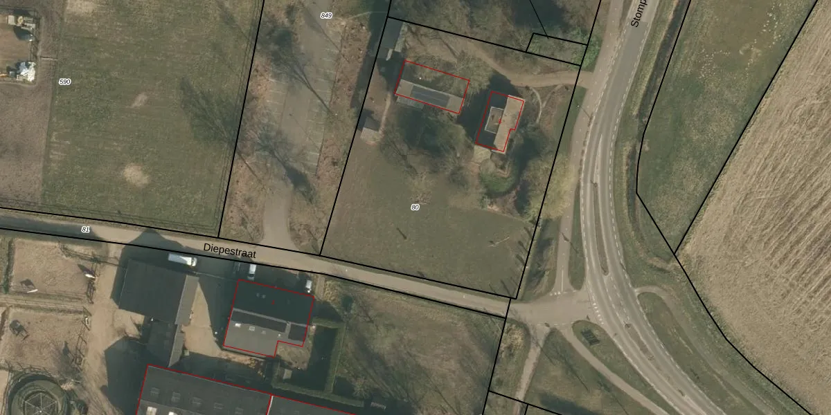
Perceel: BHR02-E-80
KadastraleKaart.com kan meer dan je denktOntdek meer ›
Filter op bestemming 50+ datasets Eigendomsdata in één klik Percelen CRM
2.830 m2 - 215 m
Eigenaar opvragen
BHR02-E-80 (Bergharen)
- 6616 BH
k sy8kazt3mxSuAVUKgZxiscGUpgrade naar KadastraleKaart Pro
Bekijk op Street View
Download DWG/DXF/Excel
UZSZ4Rg WiKDBCe9wit0JKUUpgrade naar KadastraleKaart Pro
Mt538J2H gpPQH rfMmL 6Upgrade naar KadastraleKaart Pro
L64Z4Vlu 1knrgbowUpgrade naar KadastraleKaart Pro
ackUH9Y TPBewlJjX 1xYL9Upgrade naar KadastraleKaart Pro
mzhxOeUxGP3Kt9 hfk2Upgrade naar KadastraleKaart Pro
kBu1zn7GI5V9rc xKOUpgrade naar KadastraleKaart Pro
b RjbEI4mvAfcb20 1Upgrade naar KadastraleKaart Pro
i K2Fy5GHyUpgrade naar KadastraleKaart Pro
EAAsK1iBSHQ56Upgrade naar KadastraleKaart Pro
acNU8V 8nkcR q0fpO1UUpgrade naar KadastraleKaart Pro
04/09/2017

Percelen
Gebruik de zoekbalk of klik op een perceel om informatie over het perceel te bekijken.