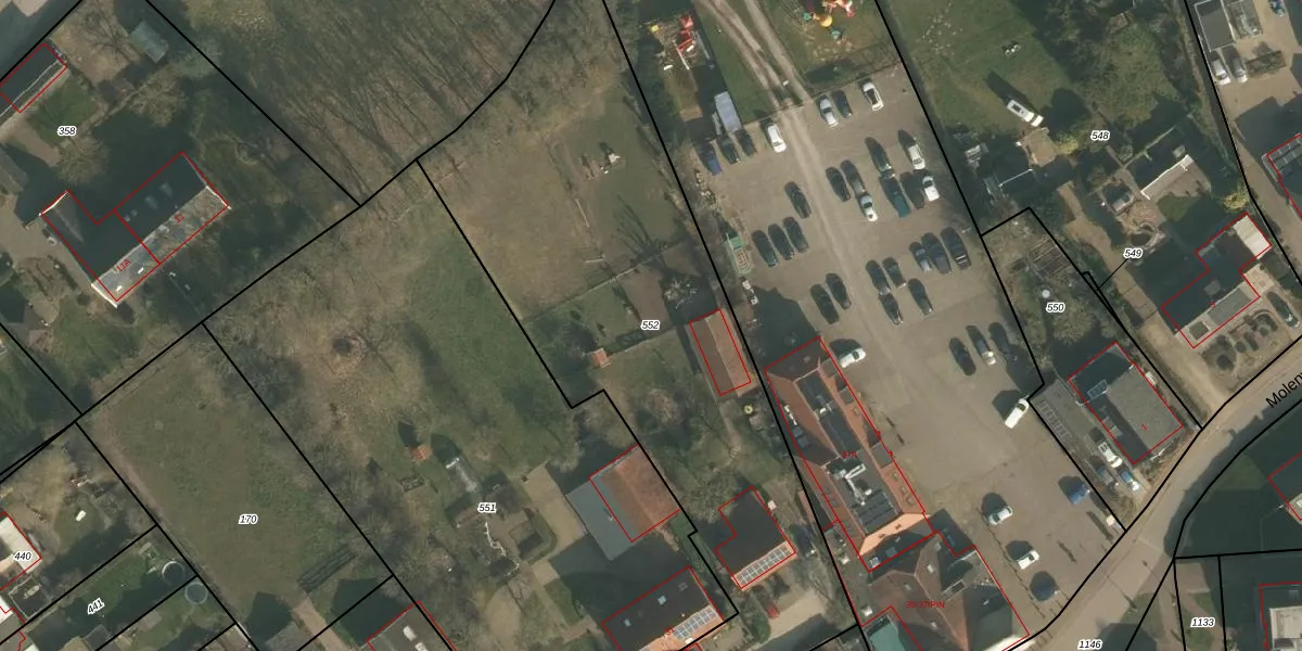
Perceel: BHR02-G-552
KadastraleKaart.com kan meer dan je denktOntdek meer ›
Filter op bestemming 50+ datasets Eigendomsdata in één klik Percelen CRM
3.255 m2 - 357 m
Eigenaar opvragen
BHR02-G-552 (Bergharen)
- 6617 AB
6 gJEaeP L7farHeYVk ep1ANaaX8Upgrade naar KadastraleKaart Pro
Bekijk op Street View
Download DWG/DXF/Excel
9eH EBxZyv 6r2rT1R8Upgrade naar KadastraleKaart Pro
ZhuBSQgWUpgrade naar KadastraleKaart Pro
Ti9r8zbmUoIcMJFEkSSH4LUpgrade naar KadastraleKaart Pro
ewZ0soG oS m 7am7RWUpgrade naar KadastraleKaart Pro
cbGyK3nC4fJaZ uUpgrade naar KadastraleKaart Pro
A cUPxdjn0KLpPkLUpgrade naar KadastraleKaart Pro
M ziGt RiuiNGAjxo2P4pUpgrade naar KadastraleKaart Pro
KosNpngBUpgrade naar KadastraleKaart Pro
RGGfsP2 Upgrade naar KadastraleKaart Pro
C1GD AbfAiUpgrade naar KadastraleKaart Pro
30/12/2010

Percelen
Gebruik de zoekbalk of klik op een perceel om informatie over het perceel te bekijken.