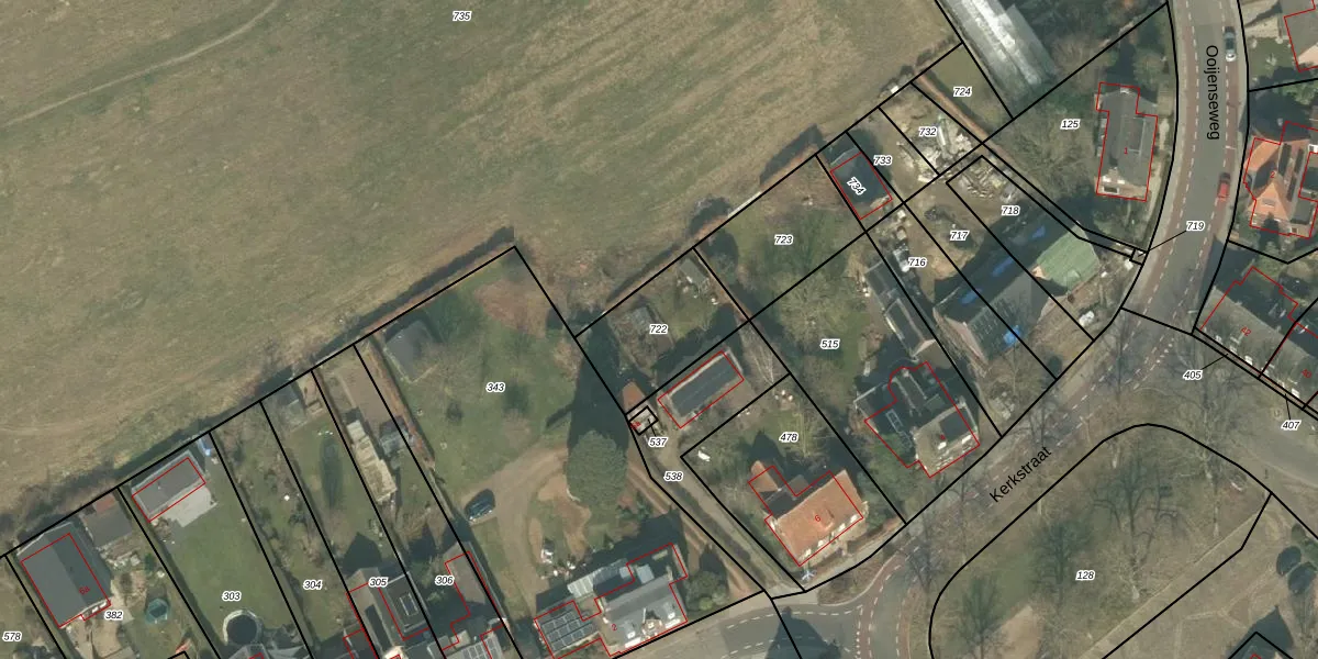
Perceel: BHZ01-E-722
KadastraleKaart.com kan meer dan je denktOntdek meer ›
Filter op bestemming 50+ datasets Eigendomsdata in één klik Percelen CRM
Geen adressen bij dit perceel
325 m2 - 74 m
Eigenaar opvragen
BHZ01-E-722 (Broekhuizen)
- Geen postcode aanwezig
3HSdeYm0LzxtMhv4ydeRMMdUpgrade naar KadastraleKaart Pro
Bekijk op Street View
Download DWG/DXF/Excel
ckwFdKHIDBUpgrade naar KadastraleKaart Pro
YtcUgleS6Upgrade naar KadastraleKaart Pro
xx R u3OfKbLa EaNqGUpgrade naar KadastraleKaart Pro
XT34gcTvR0VyRdhTUpgrade naar KadastraleKaart Pro
mXtSOELj8x3hRG9K1b4Upgrade naar KadastraleKaart Pro
KEZ 5HADFTUpgrade naar KadastraleKaart Pro
8rm8z0W z6eBhvkyCAgUpgrade naar KadastraleKaart Pro
spBtv29lIXUpgrade naar KadastraleKaart Pro
q3nByGpRvZfjdvuNvvZuA Upgrade naar KadastraleKaart Pro
v tmdsX5WdbUpgrade naar KadastraleKaart Pro
26/07/2013

Percelen
Gebruik de zoekbalk of klik op een perceel om informatie over het perceel te bekijken.