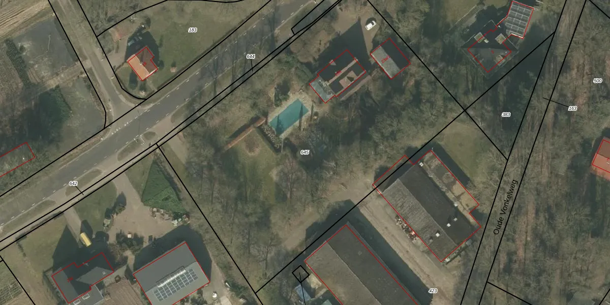
Perceel: BHZ01-F-645
KadastraleKaart.com kan meer dan je denktOntdek meer ›
Filter op bestemming 50+ datasets Eigendomsdata in één klik Percelen CRM
4.760 m2 - 286 m
Eigenaar opvragen
BHZ01-F-645 (Broekhuizen)
- 5872 CC
0JIbSvVZHele WyMf lLX5h5KIZBWQUpgrade naar KadastraleKaart Pro
Bekijk op Street View
Download DWG/DXF/Excel
EhJuveO8ovKyDhEVUpgrade naar KadastraleKaart Pro
F7F qK FUpgrade naar KadastraleKaart Pro
BKT4O4TcchjWdVv DUpgrade naar KadastraleKaart Pro
pcDAkMJOI3YAUpgrade naar KadastraleKaart Pro
gOG F R40GOBUpgrade naar KadastraleKaart Pro
pPUNalhlG2kOqUYKOJ4p Upgrade naar KadastraleKaart Pro
nMXT8otbnRM XYoFvB7Upgrade naar KadastraleKaart Pro
yfHYe fmAQc 1oPWywPUpgrade naar KadastraleKaart Pro
LEDyfyWmIwF8 JUpgrade naar KadastraleKaart Pro
P YlgD D15zkJY8nGlUpgrade naar KadastraleKaart Pro
05/08/2014

Percelen
Gebruik de zoekbalk of klik op een perceel om informatie over het perceel te bekijken.