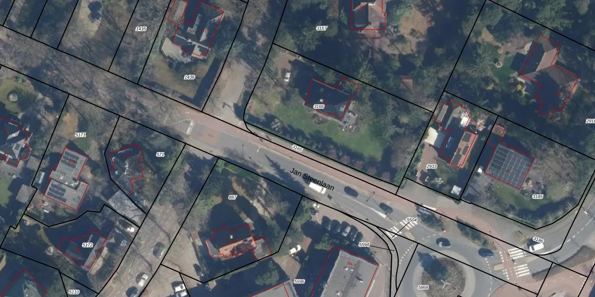
Perceel: BIL01-A-3165
KadastraleKaart.com kan meer dan je denktOntdek meer ›
Filter op bestemming 50+ datasets Eigendomsdata in één klik Percelen CRM
Geen adressen bij dit perceel
145 m2 - 117 m
Eigenaar opvragen
BIL01-A-3165 (De Bilt)
- Geen postcode aanwezig
GsCRmraVesdcBMp0K TIp 5 Zy18rUpgrade naar KadastraleKaart Pro
Bekijk op Street View
Download DWG/DXF/Excel
YED5ZxTzj7xGx93fikRUpgrade naar KadastraleKaart Pro
gNnmCL x2nqbFof1R9OJxHNUpgrade naar KadastraleKaart Pro
AUgRvf3u 7apw3IHjNnD1Upgrade naar KadastraleKaart Pro
B73O l4RtYFeIocLcu8Upgrade naar KadastraleKaart Pro
jcDWP8YVlbWUpgrade naar KadastraleKaart Pro
1YurU7 m wxsAPq1ssU6dUpgrade naar KadastraleKaart Pro
Wl 2B9A4LVcQOt 5X0EfUpgrade naar KadastraleKaart Pro
Tb F5G2 Upgrade naar KadastraleKaart Pro
Fkw0m jyR3j tH oRf4wUpgrade naar KadastraleKaart Pro
9S5JEm9hUUpgrade naar KadastraleKaart Pro
06/12/2012

Percelen
Gebruik de zoekbalk of klik op een perceel om informatie over het perceel te bekijken.