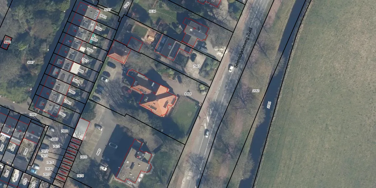
Perceel: BIL01-D-8484
KadastraleKaart.com kan meer dan je denktOntdek meer ›
Filter op bestemming 50+ datasets Eigendomsdata in één klik Percelen CRM
1.905 m2 - 184 m
Eigenaar opvragen
BIL01-D-8484 (De Bilt)
- 3732 HC
54p6sY0XSn9rRu7J3ILUpgrade naar KadastraleKaart Pro
Bekijk op Street View
Download DWG/DXF/Excel
7MJgxgpePY EY 5hxWCUpgrade naar KadastraleKaart Pro
NPqNq FI FLzJl 5jUzUpgrade naar KadastraleKaart Pro
ddKUXu 7Fn a4 gBukgNUpgrade naar KadastraleKaart Pro
8xy8yTgd3njtq5WSLUpgrade naar KadastraleKaart Pro
TdfDm1FVi 6u7ZDs5csNCEJUpgrade naar KadastraleKaart Pro
d 1 7DKfUpgrade naar KadastraleKaart Pro
0C1NgRfAVUpgrade naar KadastraleKaart Pro
EwnZ2OtvQbCwUpgrade naar KadastraleKaart Pro
KzLN2BP5tjdhppV9pz2bWDUpgrade naar KadastraleKaart Pro
e0RIzY4lwP 0G8xLVQUpgrade naar KadastraleKaart Pro
19/09/1997

Percelen
Gebruik de zoekbalk of klik op een perceel om informatie over het perceel te bekijken.