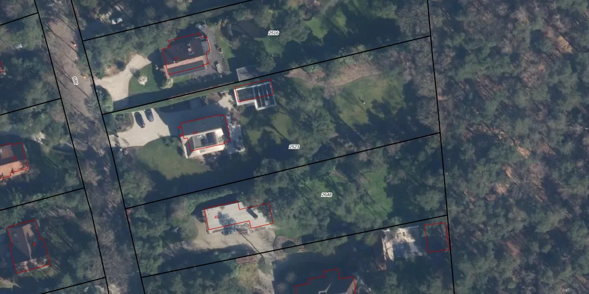
Perceel: BIL01-E-2523
KadastraleKaart.com kan meer dan je denktOntdek meer ›
Filter op bestemming 50+ datasets Eigendomsdata in één klik Percelen CRM
3.694 m2 - 291 m
Eigenaar opvragen
BIL01-E-2523 (De Bilt)
- 3723 LH
aFIM2Qm4o P EaBEyyFl5X9p Upgrade naar KadastraleKaart Pro
Bekijk op Street View
Download DWG/DXF/Excel
IPT8bne9qqB0RvCQk6DUG Upgrade naar KadastraleKaart Pro
9 B64KBuxUpgrade naar KadastraleKaart Pro
jAZAlC1J0BJmir otGkUpgrade naar KadastraleKaart Pro
w5yw5IvCrGAi4N eaUpgrade naar KadastraleKaart Pro
mze55an1kntnoKD vByS7Upgrade naar KadastraleKaart Pro
EBQG9qJAhqPpMcUpgrade naar KadastraleKaart Pro
IxBgRfS0XhwCUpgrade naar KadastraleKaart Pro
u0PZCYepbTb 3XUpgrade naar KadastraleKaart Pro
Cx24 YvzGi4YUpgrade naar KadastraleKaart Pro
wr97dKA V6M1nRXEu4CiDUpgrade naar KadastraleKaart Pro
10/03/2010

Percelen
Gebruik de zoekbalk of klik op een perceel om informatie over het perceel te bekijken.