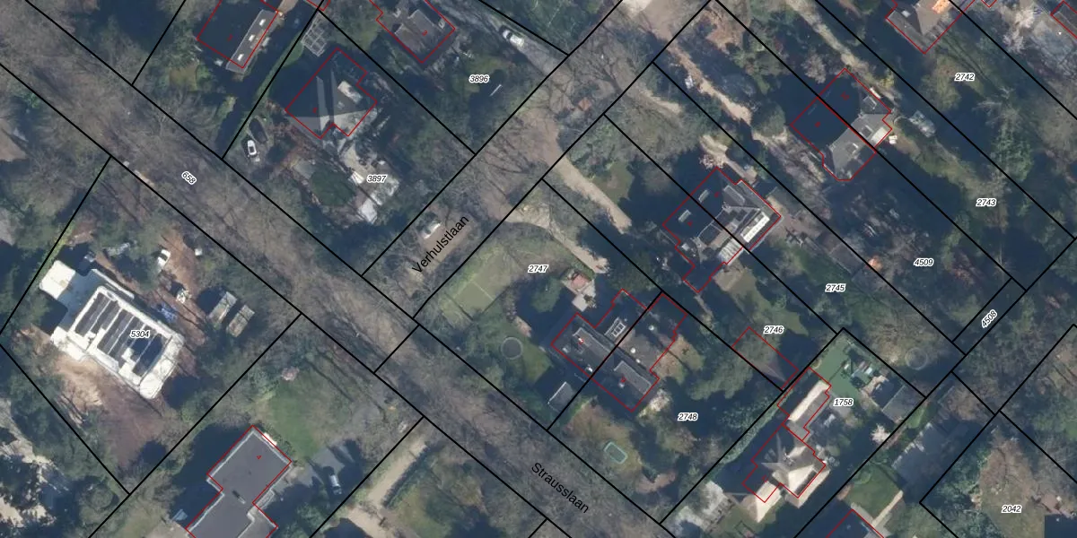
Perceel: BIL01-E-2747
1.107 m2 - 132 m
Eigenaar opvragen
BIL01-E-2747 (De Bilt)
- 3723 JR
gnF FZSisQM4YhbK JZF PsEf4egNdXUpgrade naar KadastraleKaart Pro
Verkoopprijs opvragen
Bekijk op Street View
Download DWG/DXF/Excel
fd125V30Upgrade naar KadastraleKaart Pro
3cwNSFGwGpAompqubhuHJUpgrade naar KadastraleKaart Pro
RvGK9tFpO jwfCUpgrade naar KadastraleKaart Pro
5WgLAjTGcMc0XXFlZ4Upgrade naar KadastraleKaart Pro
Y5he4BPu6H hcBSPfUefUpgrade naar KadastraleKaart Pro
bEYxQSQucyngTCRfIQ6 7Upgrade naar KadastraleKaart Pro
T5sJ bq Upgrade naar KadastraleKaart Pro
aoIegDXiaTPn8 GF0UUpgrade naar KadastraleKaart Pro
ytKwAkV iFXuwiKFUpgrade naar KadastraleKaart Pro
WqQbc9gHWecvBO3YI2hXtKhUpgrade naar KadastraleKaart Pro
19/09/1997

Percelen
Gebruik de zoekbalk of klik op een perceel om informatie over het perceel te bekijken.