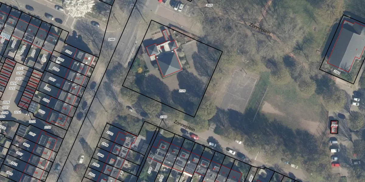
Perceel: BIL01-F-2729
1.680 m2 - 165 m
Eigenaar opvragen
BIL01-F-2729 (De Bilt)
- 3721 KV
R PQCUb2mGvRlrNju9R4 tWk j9sUpgrade naar KadastraleKaart Pro
Bekijk op Street View
Download DWG/DXF/Excel
0r i KzY qUpgrade naar KadastraleKaart Pro
LJSL9m0O 8dn Yvozs3Upgrade naar KadastraleKaart Pro
R8kq w LSzkuUpgrade naar KadastraleKaart Pro
S6Z4oUtuTR6PUpgrade naar KadastraleKaart Pro
xaj O O6nK5rdybeuek Upgrade naar KadastraleKaart Pro
L hau92Ggmjjd6FUpgrade naar KadastraleKaart Pro
rTLFzkKQgh pHWbt mCxUpgrade naar KadastraleKaart Pro
2u5jvP4xajG3pEtUpgrade naar KadastraleKaart Pro
3C9KqDJqHUpgrade naar KadastraleKaart Pro
czW4hBH2RxY Tq1MpMdkUpgrade naar KadastraleKaart Pro
15/03/2010

Percelen
Gebruik de zoekbalk of klik op een perceel om informatie over het perceel te bekijken.